Мальцев В.М., Мальцев М.И., Кашпоров Л.Я. - Основные характеристики горения (1043377), страница 27
Текст из файла (страница 27)
В работе [94] обнаружены следующие конденсированные продукты в пламенах богатых углеводородами смесей ацетилена и этилена с кислородом: бензол, толуол, фенилацетален, стирол, дифенил, инден, нафталин, 1-метилнафталин, аценафтен, флуорен, антрацен + фенантрен, 4,5-метиленфенантрен, флуорентен, пирен, бензофлуорены, метилпирены и предположительно тетраацетилен, . метилстиролы, триметилбензол, дигидронафталйн, пирацен. В работах [95, 96] показано, что в экстрактах из сажи имеется бензпирен. Структура частиц. Исследования под электронным микроскопом дымов углеводородов и аморфной копоти показывают, что дым состоит из сферических частиц, представляющих собой агломераты очень мелких мезоморфных кристаллов или кристаллитов. Наименьший размер кристаллита в дыме ацетиленовых пламен (Гофман и Вильм, 1936 г.) равен 1,3X2,1 им. Кларк, Эккерт я Бартон в 1949 г. обнаружили пластинки размерами 1—6 нм; Паркер и Вольфгард [84]- первичные частицы размером 1,3X2,1 нм, а Грисдейл [97] нашел частицы диаметром 5 нм. Таким образом, можно считать, что основные размеры граней кристаллитов порядка 2 нм. Обычно кристаллиты соединены случайным образом в виде початка кукурузы и образуют сферическую частицу.
Атомная структура кристаллитов была выявлена при анализе рентгеновской дифракционной картины. Кристаллит состоит из нескольких слоев атомов углерода, образующих смещенную (искаженную) гексагональную решетку. Искажение кристаллической решетки обусловлено присутствием остаточного водорода. Слои атомов углерода параллельны друг другу и расположены в порядке, характерном для графита. Однако плоскости не расположены параллельно, как в случае графита. Слои углерода в кристаллите графита можно сравнить с колодой карт, лежащих в коробке, а слои в кристаллите дыма — с картами, наколотыми на спицу так, что края карт повернуты под различными углами друг к другу [87].
Влияние природы горючего. В очень небольших диффузионных пламенах конденсированные продукты не образуются, но если увеличить расход топлива, то при вполне определенной высоте пламени появляется светящаяся вершина. При дальнейшем увеличении расхода топлива может .начаться процесс выделения дыма у вершины пламени. Измерить высоту пламени, при которой начинается выделение дыма, не трудно. Она зависит от диаметра и типа горелки. При использовании горелки определенных размеров по этой высоте можно сравнивать относительную способность различных топлив к образованию копоти. Подобного рода измерения описаны в работах Мннчина в 1931 г. и Кларка, Хантера и Гарнера в 1946 г.
Появление первого дыма оценивалось визуально. Данные Минчина в общем согласуются с результатами Кларка и др. По результатам этих работ способность к выделению дыма из пламени зависит от природы горючего и возрастает в следующем порядке: парафины <олефины и моноциклические парафины<диолефины и дициклические парафины < бензольный ряд<ряд нафталина. Для парафинов тенденция к образованию сажи увеличивается с увеличением молекулярной массы. Метиловый спирт не дает сажи вообще, а образование сажи первичными спиртами увеличивается с ростом молекулярной массы. Вторичные спирты выделяют сажу значительно легче, чем первичные.
Отношение атомов С/Н в исходном углеводороде является важным, но, не единственным параметром. Большое значение имеет также структура молекул. Так, парафины с разветвленной цепью более интенсивно выделяют дым, чем аналогичные парафины нормального строения, хотя отношение атомов С/Н в обоих случаях одинаково. Чем больше разветвлены цепи, тем больше способность к образованию сажи. Место разветвления цепи, по-видимому, роли не играет. Ненасыщенность углеводородов увеличивает тенденцию к образованию сажи.
Высота диффузионных пламен при определенных условиях пропорциональна расходу топлива. В работе [87] расход, при котором углеводород сгорал без выделения дыма, использовался в качестве критерия способности его к дымообразованию. Появление первого дыма из пламени определяли визуально. Способность к выделению дыма из диффузионного пламени возрастает в следующем порядке: н-парафи|ны<изо-парафины < циклопарафины < <олефины < циклоолефины < диолефины = ацетиленовые углеводороды < н-алкилбензолы. По-видимому, способность к дымообразованию в зависимости от класса соединений определяет первичный процесс превращения более насыщенного водородом соединения в менее насыщенное соединение, протекающий с определенной продолжительностью.
Данные работы [87] в общем согласуются с результатами изложенных выше работ. Так, с увеличением молекулярной массы н-парафинов уменьшается максимальный расход топлива, сжигаемого без дымообразования (т. е. увеличивается способность к дымообразованию). Этот эффект может быть объяснен изменением коэффициента диффузии газообразных продуктов с изменением молекулярной (массы исходных соединений. Из данных работы [87] следует также, что для изомеров и соединений с одинаковой молекулярной массой наибольшую склонность к дымообразованию имеют соединения с наиболее устойчивой структурой.
В работе Эберзола и Барнета (1945 г.) была исследована способность к дымообразованию различных углеводородов при горении однородных топливовоздушных смесей в бунзеновской горелке. Через вытяжную трубу, по которой пропускался дым, выходящий из пламени, проходил луч света. Для определения степени поглощения света (мера дымообразования) был использован фотоэлемент. При одном и том же отношении расхода топлива к воздуху способность к выделению дыма (степень поглощения света дымом) увеличивается в следующей последовательности: керосин< декалин (6ициклопарафин) < бензол и алкилбензолы <амиинонафталин. В условиях эксперимента не удалось получить дым у парафинов, циклопарафинов и олефинов. По-видимому, эти соединения образуют меньше конденсированных продуктов, чем керосин, декалин и ароматические соединения. Таким образом, для пламен однородных углеводород-воздушных смесей характерны те же зависимости способности к дымообразованию от класса углеводородных соединений, что и для диффузионных пламен.
Влияние примесей. На образование углерода влияют примеси, например примесь SO3 [2]. Обнаружено, что добавка 0,1% SO3 в воздух при горении светильного газа, когда воздуха вполне достаточно, вызывает свечение бензеновского пламени. В работе [88] при исследовании плоских пламен предварительно перемешанных смесей установлено, что при добавлении 0,2% SO3 к изобутану выход сажи увеличивается на 40%. В то же время эта же добавка SO3 в диффузионное пламя дает довольно незначительный эффект (уменьшение образования углерода) [98].
Добавка кислорода в пламя разложения ацетилена при 600 °С увеличивает содержание в нем углеродистых продуктов [85]. При более высоких температурах относительное влияние кислорода уменьшается; а при 800 °С он оказывает замедляющее влияние на образование углерода уже при содержании больше 1—2%. Добавка окиси этилена в пламя разложения ацетилена ускоряет образование в нем углеродистых частиц [85]. Окись этилена как ускоритель при 600 °С более эффективна, чем кислород; при 800 °С она оказывает очень незначительное влияние. Добавки галогенов увеличивают образование дыма [2].
В работе [99] было показано, что уменьшение концентрации атомов водорода в пламени сопровождается уменьшением образования дыма. Таким образом, образование дыма может быть предотвращено реакциями, которые потребляют атомы водорода или делают их неэффективными. В работе [100] предполагается, что образование дыма может быть подавлено окисью углерода или азотом, которые служат для рекомбинации и удаления атомов водорода.
Добавки SO2 и H2S уменьшают образование углерода в пламенах гомогенных смесей, хотя для этого требуется довольно значительное количество этих лримесей, ~4% [2, с. 174]. Они уменьшают образование углерода и в диффузионных пламенах. Все неактивные разбавители, обладают, по-видимому, способностью уменьшать образование углерода, если только их ввести в достаточном количестве [2, с. 174]. Имеются данные о том, что соли металлов иногда уменьшают образование углерода. Так, в работе [101] обнаружили, что соли никеля и щелочноземельных металлов уменьшают или прекращают совсем образование углерода. Примеси окиси азота заметно замедляют образование углеродистых частиц в пламени разложения ацетилена [85]. Отмеченные выше эффекта свидетельствуют о том, что количество углеродистых продуктов в пламенах не только определяется условиями равновесия, но и, возможно, зависит от механизма образования углерода.
Добавки пропилена при 600 и 700 °С и малых концентрациях ацетилена имеют тенденцию замедлять реакцию образования углерода в пламени разложения ацетилена, но при более высоких концентрациях и температурах они фактически ускоряют реакцию [85]. Аналогичным образом действуют и добавки пропана, которые при 600 °С являются разбавителями, а при 700 или 800 0C ускоряют реакцию.
Метод, используемый в работе [85] для наблюдения за процессами образования частиц в пламени разложения ацетилена, заключался в измерении степени помутнения газового потока (I/Iо). При этом установлено, что добавки ароматических соединений увеличивают образование углерода в пламени. Влияние добавок на процесс образования углерода увеличивается при переходе от бензола к нафталину, толуолу и антрацену. Так, при 800 °С и содержании ацетилена 5% значение (I/Iо) составляет для добавок 3,2% бензола —0,01; 2,5% нафталина —0,04; 1,2% толуола—0,16; 2% антрацена —0,33. При этом ∆ (I/Io) вычисляли следующим образом: I/I0 (для чистого C2H2)—I/Iо (для С2Н2 с добавкой). Интересно отметить, что добавки толуола заметнее увеличивают образование углерода, чем добавки нафталина.
Карбонил железа и ферроцен при концентрации 1 атом железа на 103—104 атомов углерода в плоских пламенах предварительно перемешанных смесей не влияют на (выход сажи [88]. Опыты, проводившиеся авторами работы [85] в cвежевычищенном и «грязном» реакторе, показали, что процессы образования углерода не связаны с поверхностными реакциями. Изменение степени очистки и применение различных фильтров также свидетельствует о том, что образование частиц углерода не зависит от частиц пыли, пара и т. п., вносимых в реактор реагирующими газами.
Влияние давления и температуры. Образование углерода в диффузионных пламенах при пониженном давлении наблюдали авторы работы [84]. При очень низких давлениях образования углерода не наблюдалось, в спектрах отмечалось только сильное излучение С2 и ОН. С повышением давления в центре пламени появлялось светящееся пятно, размер которого увеличивался по мере повышения давления.
Влияние давления воздуха на выделение дыма из диффузионных пламен углеводородов исследовано также в работе [87]. Способность к дымообразованию значительно увеличивается с ростом давления воздуха. Исследованы этилен, этан, н-октан, 2-метилоктан, октен-1, гептен-1, изооктан, циклогексан, смеси октана с толуолом и топливо JP-4. Причем этилен и этан исследованы в диапазоне давлений 0,4—2,0 МПа н-октан и октен-1 в диапазоне 0,1—1,2 МПа, а остальные горючие — в диапазоне 0,05—0,4 МПа. Как выяснено, максимальный расход топлива, сжигаемого без Дымообразованяя, является линейной функцией от обратной величины давления воздуха в диапазоне 0,05—2,0 МПа. Фактором, влияющим на образование дыма в диффузионных пламенах при изменении давления воздуха, может быть скорость диффузия.
При исследовании пламени однородной этилен-воздушной смеси наблюдался рост дымообразования при увеличении давления. Влияние давления на образование углерода в бунзеновском пламени ацетилен-кислородной смеси является незначительным [2, с. 171]. В работе [88] отмечается, что желтое излучение плоского пламени предварительно перемешанных углеводородных смесей быстро исчезает, когда давление достаточно понижается, хотя при Этом массовый расход и состав смеси поддерживаются постоянными. Это излучение, характерное для частиц углерода, появляется или исчезает в области давлений 1,3 кПа (10 мм рт. ст.).
Давление, при котором начинает образовываться сажа в углеводород-кислородных пламенах, зависит от состава смеси. С увеличением давления (при определенном расходе смеси) выход сажи из пламени увеличивается. Следует отметить, что по сравнению с диффузионными пламенами влияние давления на процессы образования углеродистых продуктов в пламенах предварительно перемешанных смесей значительно слабее. Это происходит, по-видимому, вследствие того, что характеристики этих пламен не зависят от скорости диффузии.
Увеличение начальной температуры топлива (бутен-1, циклопропан, пропен, пентен-1, 2,2-диметилпропан, изобутан, этилен, н-бутан) от 30 до 190°С не влияет на выделение дыма из диффузионных воздушных пламен (максимальный расход топлива, сжигаемого без дымообразования, остается постоянным) [87]. Увеличение начальной температуры бензол-воздушной смеси от комнатной до температуры 450 °С также не влияет на выделение дыма из пламени этой смеси (отношение топливо — воздух, соответствующее началу дымообразования, остается постоянным). Однако отношение топливо — воздух, соответствующее началу образования углеродистых частиц в пламени, увеличивается в 1,15 раза.
2. Конденсированные продукты в открытых воздушных пламенах
Одной из причин неполного сгорания в условиях открытых воздушных пламен является образование трудносгорающих конденсированных продуктов. Нами проведены экспериментальные исследования конденсированных продуктов, образующихся в открытых воздушных пламенах различного класса горючих. Образцы горючего диаметром 15 мм сжигались в среде неподвижного воздуха при атмосферном давлении и комнатной температуре.
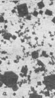
Форма и размеры частиц. Исследование формы и размеров частиц проведено с помощью электронного микроскопа. В качестве пленки-подложки, на которую отбирали пробу частиц, использована пленка из нитроклетчатки толщиной 35—20 нм. Для удобства отбора проб и манипуляций в измерительной камере микроскопа пленка из нитроклетчатки была нанесена на специальную латунную сетку толщиной не более 100 мкм. Отбор (осаждение) частиц на сетку с пленкой проводился путем кратковременного внесения ее в ту или иную зону пламени.
















