Poyasnyak (1052825), страница 2
Текст из файла (страница 2)
Инженерно-геологический разрез, таблица с расчетными характеристиками грунтов приведены на чертеже №49/09 ОАО ГИПРОДОРНИИ.
Согласно СНиП II-7-81* и общего сейсмического районирования территории РФ (карта В) район относится к 6-бальной зоне (г.Артем).
Глубина сезонного промерзания грунтов - суглинков и глин как для г.Владивостока составляет – 1,36м;
Инженерно-геологический разрез по оси путепровода изображен на рис. 1.1.
Рисинок 1.1 – Инженерно-геологический разрез по оси путепровода
Таблица физико-механических свойств грунта изображена на рис. 1.2.
Рисунок 1.2 – Таблица физико-механических свойств грунта
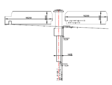
Ситуационный план изображен на рис. 1.3.
Рисунок 1.3 – Ситуационный план
2. РАЗРАБОТКА ВАРИАНТОВ ПУТЕПРОВОДА
2.1 Вариант №1
2.1.1.Определение габарита путепровода
Габарит автомобильной дороги 1 категории 6-ти полосного движения определяется по следующей формуле:
(2.1.1)
где Г - габарит автомобильной дороги,
;
b - ширина полосы движения, равная
;
ЗП - ширина защитной полосы, равная
;
Hоп- ширина тела опоры, равная
=3 м;
C - расстояние от опоры до ЗП, равное С=3 м;
Т –ширина тротуара, равное Т=1,5 м;
Габарит автомобильной дороги по высоте равен h=5.0м
Таким образом:
Принимаем габарит автодороги так, чтобы с каждой стороны от промежуточной опоры находилось по 3 полосы движения
Схема габарита автомобильной дороги приведена на рисунке 2.1.1
Рисунок 2.1.1 – Размещение автодорожного габарита в первом варианте.
После определения габарита автомобильной дороги , назначаем длину пролётных строений.
Исходя из размеров габарита автомобильной дороги принимаем пролетные строения длиной 23.6м.
Определим отметку по формуле:
ПР=h+hнв+hстр; (2.1.2)
где h – высота габарита автомобильной дороги, равная h=5м.
hнв – минимальное нормируемое возвышение низа пролетного строения над габаритом, м., принимаемое в соответствии с указаниями [1, п. 1.23]; hнв=1,0 м;
hстр – строительная высота пролетного строения в пролете, м; hстр=2,55 м.
Таким образом:
ПР=5+1,0+2,55=8,55 м
Принимаем схему моста 4х23,6,она указана на рисунке 2.1.2
Рисунок 2.1.2 Схема моста.
2.1.2. Определение проектных отметок
В данном разделе производится расчёт следующих отметок:
- отметка подошвы рельса производится по формуле:
отмПР=отмУЗ+ПР (2.1.3)
где УЗ - проектная отметка уровня земли, отм УЗ=26,65м.
отмПР=26,55+8,55=35,2м.
- отметка бровки земляного полотна:
отмБЗП=отмПР-0.9 (2.1.4)
отмБЗП=35,20-0,9=34,30м.
- отметка низа конструкции:
отмНК=отмПР-hстр (2.1.5)
отмНК=35,20-2,55=32,65
2.1.3. Пролетное строение
Пролетные строения –железобетонные железнодорожные пролетные строения, по тип.пр.3.501-79.1, hпс=2.55м. Lпс=23,6м.
2.1.4. Промежуточная опора
В данном варианте принимается промежуточная ростверковая опора на свае оболочках диаметром 1.6 м. Применение данных столбов обусловлено местными условиями.
В качестве малосжимаемых грунтов принимаем супесь пылеватая малосжимаеиая твердая.
При назначении основных размеров промежуточных опор определяют минимально требуемые размеры, исходя из геометрических показателей пролетных строений, опираемых на опору, опорных частей, опорной площадки, подферменной плиты.
Принимаем типовую промежуточную опору под пролетные строения длиной 23,6:
Аоп=3,00м.
Bоп=6,30м.
Вид опоры показан на рисунке 2.1.3
Рисунок.2.1.3 Схема промежуточной опоры.
Учитывая расположение столбов в плане, к дальнейшей разработке принимаются следующие размеры опоры:Аоп=3,6м.,Воп=4.0м. Количество столбов nст=2шт. Толщина ростверка назначается с учетом требований по заделке столбов в ростверк и диаметра рабочей арматуры столбов. Глубина погружения столбов назначена из условия их погружения в несущий слой не менее чем на 2 метра [2];
Окончательно глубину заложения столбов определяем из расчёта по несущей способности подстилающего грунта. При этом расчётная схема опоры представлена на рисунке 2.1.4.
lр
lр
ео
1
Л.вл.
=0.5
Рисунок 2.1.4 Расчётная схема опоры
Необходимо выполнение условия:
(2.1.6)
где Nст - несущая способность одного столба.
(2.1.7)
где: Fd=γc*(γcr*R*A+ʋ*(1*25.5*10) (2.1.8)
R- расчетное сопротивление грунта под нижним концом столба, кПа принимаемое
γст- коэффициент учитывающий глубину забивки столба
ʋ-наружный периметр поперечного сечения столба
ʋ=d*3.14=1.6*3.14=5.03 (2.1.9)
Согласно исходным данным:
R=3400кПа
А-площадь опирания на грунт столба, А=4,02 м2;
Fd=1*(1*3400*4.02+5.03*(1*25.5*10))=12202кН
Определяем нормативную постоянную нагрузку;
(2.1.10)
Где Gб- вес одного блока.
Lп- полная длина пролетного строения
g1 –собственный вес балок
(2.1.11)
где g2-вес балласта и др.частей
Vб-объем балласта
Vб=2*23.6=47.2 м3
γб=Аб*g (2.1.12)
Где Аб=2м2-поперечное сечение балласта
γб=2*9,81=19,62кН/м3
g3=2*5=10кН/м (2.1.13)
Где g3-вес тротуаров и перил
Gпс=2*Gб+Vб*γб+g3*Lпс (2.1.14)
Gпс=2*829+47.2*19.62+10*23.6=2820кН
Где Gпс – полный вес пролетного строения.
Gподф.=132кН
Где Gподф-вес подферменника
Gблоков=30*18=540кН.
Gто= Vбз*γб (2.1.15)
Где γб- удельный вес бетона
Gто- вес тела опоры.
γб=25кН/м3
Vбз- объем бетона тела промежуточной опоры
Vбз=127,66м3
Gто=127,66*25=3191,5кН
Gр=Vр* γб (2.1.16)
Где Gр- вес ростверка
Vр-объем ростверка
Vр=3*3,6*4=43,2м3
Gр=43,2*25=1080кН
∑G=GР+Gто+Gпс+Gподф+Gблоков (2.1.17)
∑G-общая нормативная постоянная нагрузка на столбы
∑G=1080+3191,5+2820+132+540=7763,5кН
Определяем нормативную временную нагрузку Nвр;
Nвр=197,46*23,6=4660кН
N1i=1.1*(2820+4811.5)+1.3*4660=14453кН
/2=14453/2=7226,5кН
/2*1,2*1,4=12140,52кН
Где 1,2-коэффициент веса ростверка
1,4-коэффициент надежности
12202кН
12140,25кН (2.1.18)
Вывод: Условие выполняется. Таким образом количество столбов (2 столба диаметром 1600 мм) и глубина их заложения (hз=10 м) достаточны.
2.1.5. Береговая опора
Конструкцию береговой опоры принимаем ростверковой по типовому проекту, указана на рисунке 2.5.
Рисунок 2.1.5 Схема береговой опоры
2.1.6. Экономическое обоснование
.
Все расчеты приведены в таблице 1.
Таблица 1.—Технико-экономические показатели 1го варианта моста.
| Наименование работ и конструктивных элементов | Единица измерения | Объём работы | Стоимость, руб. | Трудоёмкость ч-д. | ||
| единичная | общая | единичная | общая | |||
| 1. Устой 2 шт. |
| |||||
| 1.1 Кладка фундамента без ограждения |
| 323,8 | 66,3 | 21467,9 | 1 | 323,8 |
| 1.2 Устройство сборных опор из ж.б. блоков | м3 | 90,2 | 245,1 | 22108,0 | 0,6 | 54,1 |
| 1.3 Кладка фундамента-монолитный ж.б. фундамент | м3 | 223,2 | 64,4 | 14374,1 | 1,9 | 424,1 |
| 1.4 Погружение сваи оболочек с извлечением грунта | м3 | 60 | 351,7 | 21102,0 | 6,63 | 397,8 |
| 1.5 Изготовление ж.б оболоки | - | 347,6 | 2085,6 | - | - | |
| 1.6 Заполнение оболочек бетоном насухо |
| 120,5 | 63,6 | 7663,8 | 0,6 | 72,3 |
| Итого по устоям |
| 88801 |
| 1272 | ||
| 2. Промежуточные опоры 3 шт. |
| |||||
| 2.1 Устройство сборных опор из ж.б.блоков | м3 | 114,9 | 245,1 | 28162,0 | 0,6 | 68,9 |
| 2.2 Монолитная кладка ж.б. | м3 | 176,4 | 76,9 | 13565,2 | 0,6 | 105,8 |
| 2.3 Устройство шпунтового ограждения | м3 | 120,5 | 222,7 | 26835,4 | 12,3 | 1482,2 |
| 2.4 Погружение сваи оболочек с извлечением грунта | м3 | 180 | 351,7 | 63306,0 | 6,63 | 1193,4 |
| 2.5 Изготовление ж.б оболоки | м3 | - | 347,6 | 2085,6 | - | - |
| 2.6 Заполнение оболочек бетоном насухо | м3 | 120,5 | 63,6 | 7663,8 | 0,6 | 72,3 |
| 2.7 Монолитные ж.б ростверки |
| 129,6 | 82,9 | 10744 | 1,3 | 168 |
| Итого по пр. опорам |
|
|
| 152361,7 |
| 3091,1 |
| 3. Пролетные строения 4 шт. | ||||||
| 3.1 Стоимость ж.д. прол. Стр. длиной до 27,6 м | м3 | 257,32 | 294 | 75652,1 | - | - |
| 3.2 Монтаж ж.б.пролетных строений стреловым краном | - | - | 3430 | 13720,0 | 152,9 | 611,6 |
| Итого по прол.стр. |
| 89372 |
| 612 | ||
| Итого по мосту |
|
|
| 330535 |
| 4975 |
2.2 ВАРИАНТ №2
2.2.1.Определение габарита путепровода
Габарит автомобильной дороги 1 категории 6-ти полосного движения определяется по следующей формуле:
Г=(3,75*3+2*2)*2+3+3+1,5=38м.
После определения габарита автомобильной дороги , назначаем длину пролётных строений.
Исходя из размеров габарита автомобильной дороги принимаем пролетные строения длиной 34,2м.















