Гидравлический расчет длинных трубопроводов
Гидравлический расчет длинных трубопроводов
2.3.1. Определение длинных трубопроводов
Длинными трубопроводами принято считать трубопроводы, в которых потери напора по длине значительно превышают потери напора на преодоление местных сопротивлений.
В этом случае потерями напора от местных сопротивлений можно пренебречь или при необходимости учесть их суммарно увеличением потерь напора на трение по длине потока на 5 - 10 %, принимая
hw = (1,05 - l,10).hf . (2 - 1)
Примерами длинных трубопроводов могут служить трубопроводы водопроводных сетей, сетей для транспортирования нефтепродуктов на значительные расстояния и т.д.
В зависимости от гидравлической схемы работы трубопроводы подразделяются на простые и сложные (рис. 2.1).

Рис. 2.1
Рекомендуемые материалы
Простым называется трубопровод, состоящий из одной линии труб (без ответвлений) с постоянным расходом по всей длине трубопровода. Простой трубопровод может иметь постоянный диаметр по всей своей длине (рис.2.1,а) или отдельных участков труб разного диаметра (последовательное соединение труб) (рис. 2.1,6).
Сложным называется трубопровод, состоящий из нескольких линий или имеющий переменный расход по длине вследствие отвода жидкости в узлах (местах разветвлений трубопровода) или непрерывной раздачи ее в пути.
Сложные трубопроводы подразделяются на:
- параллельно-разветвленные (рис.2 - 1,в );
- тупиковые (рис.2.1,г);
- кольцевые (рис.2.1,д);
- с непрерывным путевым расходом жидкости (рис.2.1,е).
2.3.2. Водопроводная формула
На участках трубопровода постоянного диаметра и расхода имеет место напорное равномерное движение жидкости, уравнение которого (1 – 5) имеет вид:
.
Пьезометрический уклон Ip в этом уравнении представляет собой потерю напора, обусловленную трением, на единицу длины потока, т. е.
.
Подставив последнее выражение в уравнение равномерного напорного движения и решая его относительно hf , получим:

Обозначив
С2.w2.R = K2 ,
последнюю зависимость приведем к виду:
. (2 – 2)
Это выражение и называется водопроводной формулой, в которой:
- hf - потери напора на трение в трубе диаметром d и длиной L;
- Q - расход воды;
- K - модуль расхода (или расходная характеристика),
.
Из уравнения (1 – 5) следует, что
, (2 – 3)
При расчетах водопроводных труб величину, обратную квадрату модуля расхода часто обозначают через A
Тогда водопроводная формула (2 – 2) переписывается в виде:
Hf = A.Q2.L, (2 – 4)
где
.
2.3.3. Расчет простого водопровода
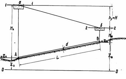
Рассмотрим простой трубопровод постоянного диаметра d, подающего воду из точки A, где установлена водонапорная башня или насос, в точку B , где находится потребитель воды (жилое или служебное здание, отдельный объект, водоразборная колонка и т.п.) (рис. 2 – 2).
Введем следующие обозначения:
- zA и zB - высота положения (нивелировочные отметки) точек A и B;
- HA и HB - начальный и конечный напоры;
- L - длина трубопровода;
- Q - расход трубопровода.
Составим уравнение Бернулли для сечений 1 - 1 и 2 – 2:

Учитывая, что
H = hf ,


Рис. 2.2
В последних формулах Н - действующий напор.
Таким образом действующий в трубопроводе постоянный напор Н затрачивается на преодоление гидравлических сопротивлений в пути между сечениями 1 – 1 и 2 – 2, главным образом, на преодоление сопротивлений трения по длине потока.
При расчете простого трубопровода могут встретиться задачи трех типов:
Задача 1.Определение расхода трубопровода Q;
Задача 2.Определение начального или конечного напора (H1 или Н2);
Задача 3. Определение диаметра трубопровода.
2.3.4. Расчет элементов сложного трубопровода
А. Последовательное соединение труб.
При последовательном соединении труб может иметь место два расчетных случая:
I случай, когда начальный расход Q проходит транзитом по всей системе без отвода воды в каких-либо точках (узлах) системы (пример простого трубопровода);
II случай, когда в отдельных узлах трубопровода отводится некоторый расход воды (пример сложного трубопровода).
Рассмотрим трубопровод, состоящий из труб разных диаметров d1, d2,и d3 при длине участков, соответственно L1, L2 и L3 (рис. 2 – 3). Пусть начальный и конечный напоры Н1 и Н2 известны, а требуется определить величину расхода Q, проходящего транзитом по всей системе.
Если вода из системы никуда не отводится (т.е. qС = 0 и qД = 0), то
Q1 = Q2 = Q3 = Q.
Общая потеря напора в трубопроводе будет складываться из потерь на отдельных участках
hf1 + hf2 + hf3 = hf..
Последнее выражение с учетом водопроводной формулы можно переписать в виде
. (2 – 8)

Рис. 2.3
При последовательном соединение труб с отводом воды в сторону
Q1 = Q; Q2 = Q – qС; Q3 = Q – (qС + qД). (2 – 10)
Подставив вьражения расходов Q2 и Q3 из уравнений расходов (2 – 10) в уравнение общей потери напора получим
(2 – 11)
Б. Параллельное соединение труб.
При решении задач по определению расхода параллельно-разветвленного трубопровода число неизвестных расходов будет равно числу участков труб (по схеме на рис. 2.4 - четыре участка).

Рис. 2.4
Поэтому число уравнений, составляемых для такого трубопровода, должно быть равно числу участков. Все виды расчетных уравнений для параллельно-разветвленного трубопровода можно разделить на три группы:
Уравнение общей потери напора в системе:
. (2 – 15)
Уравнение равенства потери напора в параллельных ветвях:
Сегментация мирового рынка - лекция, которая пользуется популярностью у тех, кто читал эту лекцию.
(2 – 16)
Уравнения распределения расходов в системе:
(2 – 17)
(2 – 18)
По найденным значениям расходов, аналогично описанному выше, определяются потери напора в отдельных участках системы и строится пьезометрическая линия.





















