Подскребышева А.В. 954 гр. 2015г. (1220888), страница 4
Текст из файла (страница 4)
2.2 Образуемые отходы от предприятия
Основной вид деятельности предприятия - восстановление движения поездов при крушениях и авариях. Всего выявлено 21 источник загрязнения
атмосферы, из них 7 организованных и 14 неорганизованных [7].
Основные источники загрязнения:
-
-труба вагонного котла (источники временного размещения)
-
-труба дизеля вагона-электростанции (источники временного размещения, аварийные)
-
вытяжная труба гаража
-
внутренний проезд 34м
-
механическая мастерская (сверлильный станок)
-
токарный цех (токарный, сверлильный наждачный станок)
-
сварочный пост
-
перегрузка угля
-
места покраски
-
зарядка аккумуляторов на технике
-
транспортная техника (источники временного размещения)
Источники загрязнения не оснащены газоочистными и пылеулавливающим оборудованием.
При работе предприятия в атмосферу выделяются 17 инградиентов и 3
группы веществ, обладающих эффектом суммации и одна сумма взвешенных веществ. Суммарный выброс составляет 5,265098 т/год, в том числе твердых 1,85279 т/год, жидких и газообразных 3,412308 т/год [7].
Основные выделяемые вещества: железо оксид, марганец, азота диоксид и оксид, серная кислота, сажа, сера диоксид, углерода оксид, фториды газообразные, ксилол, бензапирен, формальдегид, бензин, керосин, уайт-спирит, пыль неорганическая до 20% кремни, пыль неорганическая 20-70% кремния. Группы веществ, обладающих эффектом комбинированного вредного действия:
-
азота и серы диоксид;
-
фториды и сера диоксид;
-
серная кислота и сера диоксид.
Сумма взвешенных веществ: пыль неорганическая до 20% кремния, пыль неорганическая 20-70% кремния [8].
Вещества 1 класса - бензапирен, 2 класса - марганец, серная кислота, фториды, формальдегид, 3 класса - железо оксид, азота диоксид и оксид, углерод, сера диоксид, ксилол, пыль неорганическая,4 класса – углерода оксид, бензин.
По результатам оценки целесообразности проведения детальных расчетов по таким загрязняющим веществам как железо оксид, марганец, азота оксид и диоксид, серная кислота, сажа, серы диоксид, углерода оксид, фториды газообразные, бензин, керосин, группы суммации менее 0.1 доли ПДК. Следовательно загрязняющие вещества не оказывают существенного влияния на загрязнение атмосферного воздуха в районе размещения предприятия. Вещества как ксилол, уайт-спирит, пыль неорганическая требуется детальный расчет загрязнения атмосферы.
Расчеты загрязнения атмосферы произведены по программе «Эколог ПРО», версия 3.0. Максимальные концентрации в контрольных точках на границе СЗЗ в долях ПДК по ксилолу 0.11, уайт-спириту 0.02, пыли неорганической 0.03-0.08. При существующем положении расчетные максимальные концентрации находятся в пределах установленных вкладов в загрязнение атмосферного воздуха. Воздействие предприятия на окружающую среду можно считать допустимым [10].
Согласно СанПиН 2.2.1/2.1.1.1200-03 санитарно-защитная зона равна 100 м, ближайшие дома расположены к западу на расстоянии 180м, к востоку более 250м. В северном и южном направлении находятся железнодорожные пути.
Система контроля функционирует на трех уровнях: государственном, ведомственном и производственном. Разработан план-график контроля за соблюдением нормативов ПДВ [8].
Физико-геогафическая характеристика площадки представлена: средняя температура наружного воздуха самого жаркого месяца 26.2 градусов, холодного месяца -21,6 градусов, максимальная скорость ветра в данной местности 8 м/с.
В результате эксплуатации восстановительного поезда образуются:
При замене аккумуляторов - отходы аккумуляторы свинцовые отработанные со слитым электролитом и серная кислота аккумуляторная. При замене смазки - отходы масла моторные, при замене фильтров - автомобильные масляные фильтры, при обтирке о6орудования - обтирочный материал, загрязненный маслами, при замене воздушных фильтров - автомобильные воздушные фильтры, при нейтрализации электролита - минеральные шламы, при отоплении вагонов - золошлаки от сжигания углей.
Отходы аккумуляторы свинцовые отработанные, со слитым электролитом передают в ОАО «РЖД» по Распоряжению №518р от 16.03.09г на утилизацию. Серная кислота аккумуляторная подвергается нейтрализации. Масла моторные используют на предприятии для смазки рельсовых соединений. Автомобильные масляные фильтры, обтирочный материал, загрязненный маслами, воздушные фильтры передают в ОАО «РЖД» для обезвреживания согласно приказа в/х 78 от 15.01.08г. Минеральные шламы, золошлаки от сжигания углей вывозят на свалку согласно договору [9].
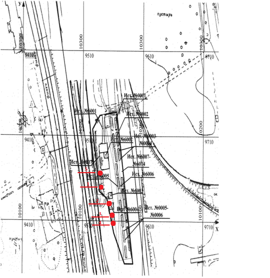
На рисунке 2.4. прослеживается размещение отходов на территории предприятия, в таблице 2.5. дается пояснение источников загрязнения.
Рисунок 2.4 Схема размещения отходов на территории
Восстановительного поезда
Таблица 2.5
Обозначения на рисунке классов опасности
| № п/п | Порядковый номер на рисунке | Класс опасности отхода |
| 1 | 1 | I класс опасности |
| 2 | 2 | II класс опасности |
| 3 | 3 | III класс опасности |
| 4 | 4 | IV класс опасности |
| 5 | 5 | V класс опасности |
Все отходы от деятельности поезда наглядно представлены в таблице 2.6 [9].
Таблица 2.6
Характеристика деятельности по обслуживанию и обеспечению производства продукции, сопровождающейся образованием отходов
| № п/п | Вид деятель-ности | Осуществляе-мые работы и услуги | Вещества, материалы, изделия, переходящие в состояние «отход» | Операции по удалению отхода |
| 1 | Эксплуа-тация восстано-вительного поезда | Замена аккумуляторов | Аккумуляторы свинцовые отработанные неразобранные, со слитым электролитом | Передача согласно Распоряжения № 518р от 16.03. 09г ОАО «РЖД». |
| 2 | Замена смазки | Масла моторные отработанные | Использова-ние на предприятии для смазки рельсовых соединений и механизмов | |
| 3 | Замена фильтров | Отходы бумаги и картона (фильтры, загрязненные маслами | Передача согласно приказа ОАО «РЖД» в/х 78 от 15.01.08г об обезврежи-вании нефтесодержащих отходов | |
| 4 | Обтирка оборудования | Обтирочный материал, загрязненный маслами (содержание масел 15 % и более) | ||
| 5 | Замена воздушных фильтров | Отходы целлюлозы, бумаги и картона (отработанные воздушные фильтры от автотранспорта) | Вывоз на полигон твердых бытовых отходов | |
| 6 | Работа котлов | Отопление вагонов | Золошлаки от сжигания углей (Райчихинский) |
Гараж на 8 единиц техники имеет сварочный пост. Расход сварочных электродов до 50 кг в год. Огарки накапливаются в закрытом металлическом контейнере на открытой площадке с непроницаемым покрытием и передаются вместе с металлоломом согласно Распоряжения №518р от 16.03.09г. Масла используются для смазки рельсовых соединении й и механизмов. Автомобильные масляные фильтры, обтирочный материал, загрязненный маслами, опилки древесные, воздушные фильтры передают в ОАО «РЖД» для обезвреживания согласно приказа в/х 78 от 15.01.08г. Минеральные шламы вывозят на свалку. Тару железную, загрязненную лакокрасочным материалом, не содержащим тяжелые металлы, используют на предприятии [10].
В складских помещениях для покрасочных работ используется краска ПФ-115, которая храниться в металлических бочках. Использованная тара накапливается в закрытом помещении и используется на предприятии. Мусор от уборки помещений собирается в пакеты и вывозится вместе с ТБО.
В мастерской используются металлообрабатывающие станки. При эксплуатации станков в мастерской образуются при замене смазки – отходы масла индустриальные, при обтирке оборудования – обтирочный материал, загрязненный маслами, при обработке металлических изделий – стружка черных металлов.
Масла индустриальные используются на предприятии. Обтирочный материал, загрязненный маслами передают в ОАО «РЖД» для обезвреживания согласно приказа в/х 78 от 15.01.08г. Стружка черных металлов передается согласно Распоряжения №518р от 16.03.09г. ОАО «РЖД».
В таблице 2.7 можно наблюдать какие отходы образуются от объектов социальной инфраструктуры.
Таблица 2.7.
Характеристика деятельности объектов социальной
инфраструктуры, сопровождающейся образованием отходов
| № п/п | Вид деятель-ности | Осуществля-емые работы и услуги | Вещества, материалы, изделия, переходящие в состояние «отход» | Операции по удалению отхода |
| 1 | Эксплуатация станков | Замена смазки | Масла индустриальные отработанные | Использование на предприятии |
| 2 | Протирка оборудования | Обтирочный материал, загрязненный маслами (содержание масел 15 % и более) | Передача согласно приказа ОАО «РЖД» в/х 78 от 15.01.08г об обезвреживании нефтесодержащих отходов | |
| 3 | Обработка металлических изделий | Стружка черных металлов несортированная | Передача согласно Распоряжения № 518р от 16.03. 09г ОАО «РЖД». |
В административном здании образуются твердые бытовые отходы и отработанные ртутные лампы. Отработанные ртутные лампы накапливаются в закрытом помещении в специальном металлическом ящике и 1 раз в год передаются в ООО «Региональный экологический цент демеркуризации». Мусор от уборки территории собирается и вывозится на свалку вместе с бытовыми отходами [8].
Очистные сооружения сточных вод, пылеулавливающие и газоочистные установки, а так же оборудование для водоподготовки на предприятии отсутствуют.
Документы от делопроизводства накапливаются в архиве площадью 8 м2 и передаются в виде отчетов в вышестоящие инстанции. Отходов бумаги от делопроизводства в данном подразделении не образуются.
Блок-схемы производственного процесса представлены в Приложениях А,Б,В,Г.
2.3. Критерии согласно законам: 7-ФЗ, 89-ФЗ, 96-ФЗ [11],[12],[13].
Критерии соответствия согласно законам 7-ФЗ, 89-ФЗ, 96-ФЗ положения статей представлены в таблицах 2.8., 2.9., 2.10.
Таблица 2.8.
Федеральный закон от 10.01.2002г. № 7-ФЗ «Об охране окружающей среды» [11]
| № п/п | Номер и название статьи | Положение статьи | Нормативные документы |
| 1 | Глава IV. Экономическое регулирование в области охраны окружающей среды Статья 16. Плата за негативное воздействие на окружающую среду | 2. К видам негативного воздействия на окружающую среду относятся: выбросы в атмосферный воздух загрязняющих веществ и иных веществ; сбросы загрязняющих веществ, иных веществ и микроорганизмов в поверхностные водные объекты, подземные водные объекты и на водосборные площади; загрязнение недр, почв; размещение отходов производства и потребления; загрязнение окружающей среды шумом, теплом, электромагнитными, ионизирующими и другими видами физических воздействий; иные виды негативного воздействия на окружающую среду. 3. Порядок исчисления и взимания платы за негативное воздействие на окружающую среду устанавливается Правительством Российской Федерации. |
|
| 2 | Глава V. Нормирование в области охраны окружающей средыСтатья 19. Основы | 2. Нормирование в области охраны окружающей среды заключается в установлении нормативов качества окружающей среды, нормативов допустимого воздействия на окружающую среду при осуществлении хозяйственной и иной деятельности, иных нормативов в области охраны окружающей среды |
|
| нормирования в области охраны окружающей среды | , а также нормативных документов в области охраны окружающей среды. 3. Нормативы и нормативные документы в области охраны окружающей среды разрабатываются, утверждаются и вводятся в действие на основе современных достижений науки и техники с учетом международных правил и стандартов в области охраны окружающей среды. Нормирование в области охраны окружающей среды осуществляется в порядке, установленном Правительством Российской Федерации. | ||
| 3 | Статья 20. Требования к разработке нормативов в области охраны окружающей среды | Разработка нормативов в области охраны окружающей среды включает в себя: проведение научно-исследовательских работ по обоснованию нормативов в области охраны окружающей среды; проведение экспертизы, утверждение и опубликование нормативов в области охраны окружающей среды в установленном порядке; установление оснований разработки или пересмотра нормативов в области охраны окружающей среды; осуществление контроля за применением и соблюдением нормативов в области охраны окружающей среды; формирование и ведение единой информационной базы данных нормативов в области охраны окружающей среды; |
|
| 4 | Статья 22. Нормативы допустимого воздействия на окружающую среду | 1. В целях предотвращения негативного воздействия на окружающую среду хозяйственной и иной деятельности для юридических и физических лиц - природопользователей устанавливаются следующие нормативы допустимого воздействия на окружающую среду: нормативы допустимых выбросов и сбросов веществ и микроорганизмов; нормативы образования отходов производства и потребления и лимиты на их размещение; нормативы допустимых физических воздействий (количество тепла, уровни шума, вибрации, ионизирующего излучения, напряженности электромагнитных полей и иных физических воздействий); нормативы допустимого изъятия компонентов природной среды; нормативы допустимой антропогенной нагрузки на окружающую среду; нормативы иного допустимого воздействия на окружающую среду при осуществлении хозяйственной и иной деятельности, устанавливаемые законодательством Российской Федерации и законодательством субъектов Российской Федерации в целях охраны окружающей среды. 2. Нормативы допустимого воздействия на окружающую среду должны обеспечивать соблюдение нормативов качества окружающей среды с учетом природных особенностей территорий и акваторий. 3. За превышение установленных нормативов допустимого воздействия на окружающую среду субъекты хозяйственной и иной деятельности в зависимости от причиненного окружающей среде вреда несут ответственность в соответствии с законодательством. |
|
| 5 | Глава VII. Требования в области охраны окружающей среды при осуществлении хозяйственной и иной деятельности Статья 51. Требования в области охраны окружающей среды при обращении с отходами производства и потребления | 1. Отходы производства и потребления, в том числе радиоактивные отходы, подлежат сбору, использованию, обезвреживанию, транспортировке, хранению и захоронению, условия и способы которых должны быть безопасными для окружающей среды и регулироваться законодательством Российской Федерации. |
|
| 6 | Глава XIV. Ответственность за нарушение законодательства в области охраны окружающей среды и разрешение споров в области охраны окружающей среды Статья 75. Виды ответственности за нарушение законодательства в области охраны окружающей среды | За нарушение законодательства в области охраны окружающей среды устанавливается имущественная, дисциплинарная, административная и уголовная ответственность в соответствии с законодательством. |














