Шахтный водосброс
Лекция 5.
5. Шахтный водосброс.
Шахтный водосброс представляет собой водослив кругового в плане очертания (воронку), сбрасывающий воду в нижний бьеф через вертикальную или наклонную шахту и отводящий туннель.

Рис. 5.1. Основные элементы шахтного водосброса.
В состав шахтного водосброса входят (рис. 5.1):
1 - водосливная воронка с полным или неполным в плане кольцевым водосливом, иногда с плоским гребнем;
2 - переходный участок, в пределах которого свободное падение воды при расчетном расходе происходит с полностью заполненным сечением; площадь сечения переходного участка уменьшается в соответствии с уменьшающимся живым сечением струи;
3 - вертикальная или наклонная шахта обычно постоянного сечения;
Рекомендуемые материалы
4 - колено или иное сопрягающее устройство, соединяющее шахту с отводящим туннелем;
5 - отводящий туннель.
5.1. Водосливная воронка.
Выполняется в виде полного или неполного кольцевого водослива (рис.5.2,а,б). Кольцевые водосливы бывают нерегулируемые (без затворов), когда гребень водосливной воронки выполнен на отметке НПУ, и регулируемые, когда на гребне воронки установлены затворы. При использовании нерегулируемых водосливов для развития их водосливного фронта во избежание существенного подъема уровня при сбросе максимальных расходов применяют водосливы типа «маргаритка». Эти водосливы имеют развитую сливную кромку за счет того, что состоят из нескольких лотков, имеющих в плане вид лепестков и дно, наклоненное в сторону шахты (рис.5.2,в).

Рис. 5.2. Схемы водоприемной части шахтных водосбросов.
а - круговая водосливная воронка с затворами или без них; б - секторная (неполная) водосливная воронка; в - лепестковый водослив («маргаритка»).
Водоприемная часть шахтного водосброса соединяется с водоотводящей частью. Наиболее широкое распространение получили вертикальные шахты, которые могут быть коническими или цилиндрическими (рис.5.3,а,б). Реже устраиваются наклонные шахты (рис.5.3,в). Известны случаи, когда вертикальная шахта отсутствует и воронка соединяется коленом с отводящим трактом (рис.5.33,г).

Рис.5.3. Конструктивные схемы шахт.
а - вертикальная коническая шахта; б - вертикальная цилиндрическая шахта;
в - наклонная цилиндрическая шахта; г - непосредственное сопряжение оголовка с коленом, шахта отсутствует.
5.2. Подвод воды к кольцевому водосливу.
Для устранения вращения потока и равномерного обеспечения подвода воды выемке (расчистке), подводящей воду к водосливу, придаются определенные очертания в плане и устанавливаются противоводоворотные устройства.
Расчистка в плане может быть параболического, полигонального или иного очертания (рис.5.4).

г)

Рис.5.4. Возможные плановые очертания расчисток.
Как показывают исследования, даже при самых совершенных очертаниях расчистки (рис.5.4,а) избежать полностью водоворотных явлений в пределах выемки не удается - требуется применение противоводоворотных устройств.
Ширина расчистки l на подходе к шахтному водосбросу назначается из условия получения скорости здесь v = 1,0…1,5м/с:
l =
(5)
где QP - расчетный расход; р - превышение гребня водослива над дном расчистки; Н - расчетный напор.
Очертание параболической расчистки (рис.5.4,б) строится по координатам:
y = l
; x = y ctg
. (6)
В качестве протвоводоворотных устройств применяются направляющие стенки, одна (рис.5.4,б) или две (рис.5.4,в). Во втором случае длина каждой стенки принимается равной lст = (2,5…3,0)R, толщина стенки около 1,0м, расстояние между стенкой и гранью водослива 0,05…0,1 R.
Расчистка по рис.5.4,г строится следующим образом.
Из точки А (точка пересечения оси быка с наружной окружностью водослива) под углом α проводится линия АВ. Отрезок этой линии ВС представляет ширину расчистки bα в этом месте, которая определяется по формуле bα = 
где Qα = Q
- расход на расчистке в сечении α; Н - напор на гребне водослива; с - высота гребня водослива; vp = 1…1,5 м/с - скорость на расчистке.
5.3. Конструкция кольцевого водослива с затвором.
Кольцевой затвор представляет собой металлический цилиндр радиусом, равным радиусу R0min гребня водослива, и толщиной стенки
0,1 R0min (рис.5.5). Для открытия затвора из камеры давления по трубопроводу выпускают воду в шахту, при этом затвор опускается в камеру; для закрытия затвора трубопровод в шахту закрывается и открывается трубопровод, соединяющийся с верхним бьефом, камера заполняется водой, цилиндрический затвор всплывает и козырек затвора занимает нужное высотное положение. Описанные открытие и закрытие трубопроводов осуществляются автоматически с помощью особых клапанов и поплавков, приходящих в движение в соответствии с колебаниями УВБ.

Рис.5.5. Гребень водослива шахтного водосброса с кольцевым затвором.
1 - цилиндр затвора; 2 - козырек; 3 - кольцевой затвор; 4 - бык; 5 - подходная расчистка; 6 - камера давления (затворная камера); 7 - трубопровод для выпуска воды из камеры; 8 - водосливная воронка.
Высота порога водослива с = 0,5…1,0 Н.
На рис.5.6,5.7 представлены схемы шахтного водосброса с кольцевым затвором.

Рис.5.6.

Рис.5.7.
5.4. Гидравлический расчет шахтного водосброса.
Гидравлический расчет шахтного водосброса заключается в определении по заданному расходу очертаний элементов сооружения, обеспечивающих нормальное функционирование системы.
5.4.1. Пропускная способность водослива.
Расход через водослив шахтного водосброса определяется по формуле:
Q = εm(2πR - n0S)
H3/2, (7)
где ε - коэффициент бокового сжатия, равный в среднем 0,9;; n0,S - соответственно число быков и их ширина на уровне гребня; m,R,Н - соответственно коэффициент расхода, радиус воронки (гребня) и напор на гребне водослива. При отсутствии быков ε = 1, n0 :
Q = m2πR
H3/2. (8) Коэффициент расхода m зависит от относительного напора H/R:
m ≈ 0,98 (0,507 - 0,136 H/R). (9)
Умножим и разделим правую часть формулы расхода на R3/2 и найдем из полученного выражения R:
R=[
]0,4=0,264[
]0,4. (10)
Задаваясь различными значениями H/R, легко определить m, R и H.
5.4.2. Очертание водосливной воронки практического профиля.
Воронки с водосливом практического профиля применяются, когда 0,2 ≤ H/R ≤ 0,4.
Профиль водослива и водосливной воронки выполняется по методу центральной струйки или принимается по координатам Вагнера.
В первом случае при расчете профиля водослива первоначально строится траектория центральной струйки, а затем находятся верхняя и нижняя границы струи; нижняя граница определяет профиль водослива (рис.5.8).
Рис.5.8. К построению профиля и воронки водослива
Принимается, что глубина потока в створе гребня равна hгр = 0,75Н.
Горизонтальная составляющая средней скорости в створе гребня в этом случае: v0 =
(11)
Уравнение траектории центральной струйки: y =
. (12)
Средняя скорость в любом сечении: v =
, (13) толщина струи h =
. (14)
Откладывая от оси центральной струйки по нормали 0,5 h влево и вправо, находим очертание профиля водослива и свободной поверхности струи. В точке на оси при глубине yпер свободные поверхности струй пересекутся. От этого сечения и ниже начинается переходный участок водосброса.
5,4.3. Переходный участок.
Начальное сечение переходного участка проходит через точку пересечения свободной поверхности струй при расчетном расходе на глубине yпер (рис.30).
Средняя скорость в начальном сечении переходного участка:
vпер = v0 +
, (15)
где v0 - скорость на гребне водосливной воронки.
При коэффициенте скорости
= 0,9 скорость в сечении переходного участка на глубине y > yпер: vy = vпер +
. (16)
Площадь сечения шахты на глубине y с учетом аэрации потока:
ω =1,1Q/vy (17)
Диаметр шахты в любом ее сечении: dш =(4ω/π)0,5. (18)
Пользуясь этой зависимостью, можно наметить очертание шахты по всей ее высоте. Как видно, сечение шахты книзу все время уменьшается, однако нижнюю ее часть, где диаметр шахты достигает
6м, целесообразно принимать цилиндрической. В верхней части шахта должна плавно сопрягаться с водосливной воронкой.
Бетонная облицовка шахты принимается толщиной
0,1 dш.
5.4.4. Водоотводящий тракт.
Шахта с туннелем сопрягается с помощью криволинейного колена (рис.5.9) радиусом rк = 2…2,5 dш.

Рис.5.9. Общая схема водоотводящего тракта шахтного водосброса.
1 - водосливная воронка; 2 - вертикальная шахта; 3 - строительный туннель;
4 - бетонная пробка; 5 - отводящий туннель; 6 - входной портал туннеля;
7 - выходной портал туннеля.
Если туннель используется как строительный, то по окончании строительных работ в месте сопряжения с шахтой устраивается бетонная пробка, длина которой принимается примерно lпр = 1.5…2,0 bT, где bT - ширина строительного туннеля.
Отметка дна туннеля в месте сопряжения с шахтой определяется по зависимости:
В =
П - iTL, где
П - отметка входного порога строительного туннеля, iT - уклон туннеля, L - длина туннеля от входного порога до оси шахты.
Определение сжатой глубины в туннеле в месте сопряжения с шахтой производится путем решения уравнения методом подбора:
vc =Q/ωc = φ
, (19) где vc, ωc = bТhc c, hc - скорость, площадь и глубина потока в сжатом сечении; φ = 0,9 - коэффициент скорости; Т - высота падения потока от ФПУ ( без учета скорости подхода ) до дна туннеля
В.
Проще определить сжатую глубину по графику проф. Н.Н.Павловского (рис.5.10).
Для этого найдем критическую глубину:
hкр =
. (22)
Далее определяем отношение
= T/ hкр, и тогда по графику находим
= hc/ hкр, или hc =
hкр .
По найденному значению hc определяем скорость в сжатом сечении:

Рис.5.10. К определению относительной глубины в сжатом сечении
= hc/ hкр в зависимости от относительной полной энергии
=T/ hкр.
Продольный профиль свободной поверхности в отводящем туннеле- кривую подпора cII, глубину h2 и скорость U2 в выходном сечении можно найти по уравнениям Б.А.Бахметева, В.И.Чарномского, А.Н.Рахманова и др.
В случае туннеля, имеющего малый уклон, глубину h2 в выходном его сечении можно определить упрощенным способом, пригодным при больших скоростях, малых глубинах и больших числах Фруда Fr. В таких условиях свободную поверхность потока можно считать плоской и определять h2 по формуле:
h2 = hс+ (gn2/αm)L2, (23)
где
1,0 - корректив кинетической энергии; L2 - длина отводящего туннеля (рис.27); m = 0,33bТ1/3 - для прямоугольного (корытообразного) cечения туннеля; m = 0,4D0,5 - для круглого сечения.
Скорость в выходном сечении U2 = Q/bТh2 м/с.
5.5. Сопряжение с нижним бьефом.
Из возможных типов сопряжения потока с нижним бьефом и гашения его кинетической энергии у низового конца водосброса может быть донный гидравлический прыжок или отброс потока на безопасное для сооружений расстояние. Расчет и конструирование сопряжения не зависят от того, как закончился водосброс - быстротоком или туннелем. Рассмотрим оба эти варианты сопряжения с нижним бьефом.
5.5.1.Донный режим сопряжения бьефов.
Как выше показано, на выходе из туннеля глубина h2 , скорость потока U2 , удельный расход q = Q/bT , критическая глубина hкр , уровень воды в нижнем бьефе
УНБ.
Для потока с такими параметрами требуется серьезное крепление дна нижнего бьефа даже на скальном основании.
Вычислим полную энергию на выходе потока из туннеля:
- потенциальная энергия равна h2;
- кинетическая энергия U22/2g;
- полная энергия на выходе Т2 = h2 + U22/2g .
Уровень линии энергии ( при отметке дна туннеля
Пр1 ) установится на отметке
Э = Т2 +
Пр1.
Перепад между бьефами Z0 =
Э - УНБ.
По графику на рис. 5.11 при относительной величине перепада Z0/hкр (по горизонтали) и коэффициенте φ=0,9 относительная вторая сопряженная глубина получается равной (по вертикали) hII / hкр = … и, следовательно hII = ( hII / hкр ) hкр.

Рис.5.11. К определению второй сопряженной глубины.
Приняв коэффициент затопления прыжка ns = 1,05, получим глубину воды, необходимую для затопления прыжка, t = ns hII и отметку поверхности водобойного колодца
В =УНБ - t. Длина водобойного колодца lв
4,5 t.
Сопряжение туннеля с водобойной плитой целесообразно выполнить криволинейным (рис.5.12).

Рис. 5.12. Пример выполнения сопряжения бьефов с помощью водобойного колодца.
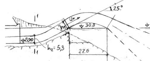
5.5.2. Сопряжение бьефов отбросом струи.
В высоконапорных гидроузлах, на реках в скалистых берегах, наиболее часто применяют в качестве сопряжения трамплин с отбросом массы воды в нижний бьеф. При решении этой задачи определяется максимальный отлет струи и выполняется прогноз глубины размыва основания.
Дальность L отброса потока трамплином от конца водосброса зависит от скорости U2 подхода потока к трамплину, найденной гидравлическим расчетом отводящего туннеля, от высоты трамплина t, его положения над УНБ, глубины воды на трамплине hT
h2 и от угла наклона трамплина α к горизонту. Одна из формул для определения дальности отброса потока:
L =φ
, (24)
где a - возвышение трамплина над УНБ; φ
0,9 - коэффициент, учитывающий потери кинетической энергии при полете потока в воздухе;
UT
U2 - скорость потока на сходе с трамплина .
Выберем размеры трамплина (рис.5.13). Из-за сопротивления воздуха полету струи отметку верха трамплина лучше выбрать на отметке УНБ = f(Qp) , т.е. а
0. Примем угол наклона трамплина к горизонту
= 250…300. Длину трамплина можно назначить примерно равной 3…4h2/

Рис.5.13. Пример выполнения сопряжения бьефов отбросом струи.
5.6. Расчет воронки водослива с использованием координат Вагнера.
Очертание водосливной воронки водослива практического профиля можно построить по координатам Вагнера (таблица 3), используя модель-аналог, рассчитанную на расход Q = 1000м3/с.
Поступаем следующим образом. Для вычисления координат воронки, рассчитываемой на заданный расход Qр, выбираем значение y0/R0 от 0,20 до 0,40.
Соответствующие этому значению табличные значения R,Y умножаем на модельный (масштабный) коэффициент
. (25)
Люди также интересуются этой лекцией: Инь, набирающая силу.
Строим профиль воронки и плавно сопрягаем его с очертанием переходного участка, расчет которого ведется так же, как в выше рассмотренном случае.
Таблица 3
Рамками обведены координаты гребня водосливной воронки.



















