25401 (568917), страница 2
Текст из файла (страница 2)
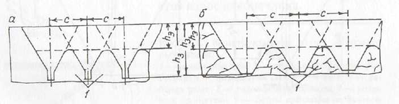
Рис. 4 - Сечения борозд рыхления при параллельных проходах рыхлителя: α – в монолитном массиве; б - в трещиноватом массиве; 1 - целики
Расчёт параметров механического рыхления
Эффективность рыхления горных пород зависит от тяговых характеристик трактора, параметров рыхлителя, физико-механических свойств пород и структуры массива. Существенное влияние на производительность рыхлителя оказывают глубина погружения зуба и скорость движения рыхлителя. Эти параметры не могут приниматься произвольно, а должны рассчитываться по тяговой характеристики тяговой машины с учётом свойств рыхлимых пород.
Область применения и эффективность механического рыхления определяются степенью рыхлимости массива. Быстрое и сравнительно недорогостоящее получение необходимой информации о свойствах разрабатываемого массива дают сейсмоакустические методы исследований, основанные на изучении характера распространения упругих колебаний в массиве. Установлено, что скорость распространения упругих волн достаточно полно коррелируется с прочностью и трещиноватостью массива и может служить в качестве обобщенного показателя, учитывающего изменение этих факторов. С увеличением прочности породы скорость распространения упругих волн увеличивается, а с увеличением трещиноватости - уменьшается. Скорость распространения упругих волн в массиве горных пород и в образцах существенно различается. Это различие обусловлено структурой массива, и, прежде всего, трещиноватостью. Учитывать структурную характеристику массива рекомендуется через параметр, называемый акустическим показателем:
где υс – скорость распространения продольных упругих волн в массиве, м/с;
υу – скорость распространения продольных упругих волн в монолитном образце рыхлимой породы, м/с.
По величине акустического показателя и тягового класса трактора оптимальное заглубление зуба можно определить по предлагаемой номограмме (рис. 5) [1].
Породы вскрыши Зашуланского каменноугольного месторождения представлены четвертичными отложениями, включающими в себя почвенно-растительный слой мощностью от 0,2 до 0,6 м, суглинками мощностью от 15 до 18 метров, песчано-галечниковыми образованиями мощностью от 0,5 до 15 метров и коренными породами, состоящих из аргиллитов и алевролитов. Удельный вес вскрышных пород составляет 2,2 т/м3. Согласно геологического отчёта породы вскрыши в талом состоянии хорошо поддаются прямой экскавации и не требуют предварительного рыхления. Породы вскрыши находящиеся в мёрзлом состоянии и уголь могут разрабатываться только после предварительного рыхления. Коэффициент крепости мёрзлых пород находится в пределах 3-5 и данные породы можно отнести к классу средне- и труднорыхлимых, характеризуемых скоростью распространения продольных упругих волн в массиве в среднем 3000 м/с при акустическом показателе 0,4.
С целью оптимизации параметров подготовки пород к выемке механическим рыхлением рассмотрим три типоразмера бульдозерно-рыхлительных агрегатов различного тягового класса, в том числе ДЗ-35С (150 кН), ДЗ-94С (250 кН), ДЗ-141ХЛ (350 кН). Характеристики базовых тракторов приведены в таблице 1.
По данным номограммы величина заглубления зуба рыхлителя соответственно будет составлять 0,35; 0,51; 0,69 м.
Рис. 5 - Номограмма для определения возможного заглубления hз зуба рыхлителя в зависимости от акустических характеристик массива υу и R, мощности тягача N и силы тяги F рыхлителя: 1,2,3,4 - при значениях υу соответственно 1000, 2000, 3000 и 4000 м/с
Выполним расчёт основных параметров рыхления для бульдозера-рыхлителя ДЗ-35С.
Определим ширину прорези понизу
в = Кз× вз, м;
где вз – ширина коронки, м;
Кз – (1 - 1,1) – коэффициент
в = 1,05×0,086 =0,09 м.
Определим ширину прорези поверху
В= в+2×Кт×hз×ctgα, м;
где Кт = 0,85 коэффициент трещиноватости;
α=500 – угол наклона стенок прорези;
hз – возможное заглубление зуба рыхлителя, м.
В=0,09+2×0,85×0,35×ctg50=0,59 м.
Определим глубину эффективного рыхления
hэ=0,6 × hз, м;
hэ=0,6 × 0,35 = 0,21 м.
Определим расстояние между соседними проходами рыхлителя
С=в+[(hз-hэ)×2ctgα]×Кт, м;
С=0,09+[(0,35-0,21)×2ctg50]×0,85=0,29 м;
Для других бульдозеров-рыхлителей расчёт параметров механического рыхления выполнен аналогично, результаты расчётов приведены в таблице 3.
Расчёт параметров механического рыхления
Таблица 3
| Наименование показателя | ед. изм | Тип бульдозерно-рыхлительного агрегата | ||
| ДЗ-35С (150 кН) | ДЗ-94С (250 кН) | ДЗ-141ХЛ (350 кН) | ||
| Ширина прорези понизу, (в) | м | 0,09 | 0,12 | 0,13 |
| Ширина прорези поверху, (В) | м | 0,59 | 0,85 | 1,11 |
| Глубина эффективного рыхления, (hэ) | м | 0,21 | 0,31 | 0,41 |
| Расстояние между проходами рыхлителя, (С) | м | 0,29 | 0,40 | 0,53 |
Технология отработки уступа
Необходимость разработки уступов слоями небольшой мощности и, как следствие этого, незначительная высота забоя погрузочного механизма несколько ограничивают область применения рыхлителей и оказывают существенное влияние на выбор рациональных средств комплексной механизации и технологии добычных работ. С одной стороны, незначительная высота забоя затрудняет непосредственную выемку разрыхленной горной массы механическими лопатами, так как для производительной их работы в данном случае требуется предварительное ее штабелирование. С другой стороны, механическое рыхление, обеспечивая высокое качество подготовки скальных и полускальных пород, позволяет повысить эффективность работы и расширить область применения таких выемочно-погрузочных механизмов, как скреперы, бульдозеры, одноковшовые погрузчики, многочерпаковые и роторные экскаваторы, погрузочные машины непрерывного действия и др.
Рыхление массива навесными рыхлителями можно вести горизонтальными или наклонными слоями. При работе горизонтальными слоями по мере рыхления и погрузки породы высота уступа в зоне погрузки постоянно уменьшается, что приводит к снижению производительности экскаватора и требует дополнительных объёмов бульдозерных работ. Поэтому наиболее рациональной при рыхлении горизонтальными слоями является подъуступная схема, при которой разрыхленная порода сталкивается бульдозером по выположенному откосу на подошву уступа, где и производится её погрузка в транспортные средства (рис 6).
При рыхлении наклонными слоями откос уступа выполаживается до 20-25о, что позволяет значительно увеличить производительность рыхлителей и бульдозеров.
Объём готовых к выемке запасов (Vз) в зимний период должен соответствовать 7-10 дневной производительности выемочно-погрузочной машины. Для условий Зашуланского разреза, при суточной производительности экскаватора 3900 м3/сут, этот объём будет составлять 39 тыс.м3. Параметры блока определяются исходя из высоты уступа, ширины заходки и нормативного объёма готовых к выемке запасов. В соответствие с этим, размеры блока принимаются равными: высота (Hу) – 10 м; ширина (B) – 27 м; длина (L) -
м.
Рис. 6 - Схема производства добычных работ с применением рыхлителей: а - разработка уступа наклонными слоями; б - разработка уступа горизонтальными слоями с нормальным откосом уступа; в - то же, с выположенным откосом; 1 - экскаватор; 2 – бульдозер; 3 - погрузчик
Для рыхления мёрзлых откосов уступов необходимо провести их выполаживание до угла 20о. Рыхление верхней площадки уступа производится поперечными ходами с предварительным созданием вдоль фронта работ зоны ослабления мёрзлого массива, которая выполняется заездами рыхлителя продольными параллельными полосами и служит для снижения усилия при заглублении зуба. Рыхление откосов осуществляется в направлении уклона по мере понижения уступа. Разрыхленная порода очередного слоя бульдозером транспортируется к забою экскаватора. На работах по рыхления и транспортированию пород применяем бульдозерно-рыхлительный агрегат. Схема ведения работ приведена на рисунке 7.
Расчёт производительности рыхлителя
Выполним расчёт производительности бульдозерно-рыхлительного агрегата ДЗ-35С.
Определим время на рыхление мёрзлых пород в пределах одного заезда
, мин;
где tз, tв – время заглубления и выглубления зуба рыхлителя, мин (принимается равным соответственно 0,15 и 0,1);
tр – время рыхления пород в пределах одного заезда, мин:
,мин;
где В – ширина верхней площадки уступа, м;
Hу – высота уступа, м;
α – угол откоса уступа, град;
υр – скорость движения рыхлителя, м/мин;
мин.
мин.
Рассчитаем время заезда рыхлителя на новую борозду
, мин;
где tм, tп – время на маневры рыхлителя и переключение передач, мин, соответственно принимаются равными 0,3 и 0,15 мин;
tд – время движения холостым ходом, мин
, мин;
где υХХ – скорость движения рыхлителя на холостом ходу, м/мин;
мин.
мин.
Определим часовую производительность рыхлителя
, м3/час;
где kи – коэффициент использования рыхлителя в течение смены.
м3/час;
В пределах подготавливаемого блока объём рыхления мёрзлых пород равен
,м3;
где Hм – мощность слоя мёрзлых пород, м.
тыс.м3.
Определим время необходимое для рыхления мёрзлых пород в блоке
ч.
Расчёт производительности бульдозера
















