10247 (567369), страница 4
Текст из файла (страница 4)
Положительная реакция характеризуется образованием кольца преципитации в виде опалесцирующей зоны вокруг лунки с антигеном, гомологичным возбудителю, вызвавшему заболевание .
Антитела, обнаруженные в испытуемой пробе сыворотки, относят к тому серотипу, с антигеном которого они дали положительную реакцию. Их титром считают максимальное разведение испытуемой сыворотки, с которым наблюдается положительная реакция.
После переболевания животных титры антител обычно превышают 1 : 160.
Н
РИФ. Данная реакция основана на том, что наличие антител в сыворотке крови переболевших животных выявляет специфическое свечение (комплекса антиген + антитело), а при использовании сывороток от вакцинированных животных свечение комплекса не наблюдается.
Техника постановки заключается в следующем. На препарат из культуры клеток ВНК-21, ПЭК, ПЭС, инфицированных вирусом ящура любого типа, наносят испытуемую сыворотку в разведении 1: 10 и 1 :20; инкубируют во влажной камере при 37 °С 30 мин; отмывают несвязавшиеся антитела; подсушивают на воздухе и окрашивают смесью рабочих разведений флуоресцирующей антивидовой сыворотки и бычьего альбумина, меченного родамином; Инкубируют во влажной камере при 37 °С 30 мин; отмывают; подсушивают и просматривают под люминесцентным микроскопом (объектив х40, окуляр х4 или х5). Положительная реакция характеризуется зеленым или из рудно-зеленым свечением цитоплазмы клеток.
Диагностический результат считают положительным при обнаружении специфического свечения хотя бы в одной из 5—10 сывороток, присланных из данного хозяйства.
Для определения уровня обнаруженных таким образом антител в испытуемой сыворотке проводят ее титрование. Для этого испытуемую сыворотку разводят от 1 : 40 до 1 : 1280, и каждым разведением обрабатывают заведомо инфицированный препарат, как было указано выше. О титре постинфекционных антител в сыворотке судят по предельному ее разведению, которое способно давать положительную НРИФ. Наличие специфического свечения в препаратах, обработанных испытуемой сывороткой в разведениях 1 : 10, 1 : 20 и 1 : 40, свидетельствует о том, что сыворотка была получена в период острого переболевания животного ящуром, т. е. с момента его заболевания прошло около 7 дней, а наличие специфического свечения в разведениях 1 : 80 и выше — о том, что сыворотка взята от животного-реконвалесцента.
Результаты исследования на ящур оформляют в виде протокола, в котором указывают дату исследования, наименование хозяйства, материала, краткие эпизоотологические данные и т. д. и обязательно наименование компонентов, используемых в исследовании, характеристику контролей.
Необходимо отметить, что для индикации и типирования вируса ящура разработано много других методов, таких, как ПЦР, РНГА, ИФА, метод перекрестного иммунитета и др.; для обнаружения и типирования антител — РН, РНГА, реакция серозащиты на мышатах-сосунах и др.
Дифференциальная диагностика. Необходимо исключить другие заболевания животных с везикулярным синдромом, такие, как ВД, ИРТ, везикулярный стоматит, у свиней — везикулярную болезнь, везикулярную экзантему, у овец — катаральную лихорадку.
Иммунитет и специфическая профилактика.
Продолжительность иммунитета у животных, переболевших ящуром, составляет 8—12 мес, у свиней — 10—12, у овец — 18 мес. При очень напряженном иммунитете может наблюдаться некоторая устойчивость к заражению гетерологичным типом вируса. При ящуре возникает тканевой и гуморальный иммунитеты. Основное значение в защите животных от заболевания принадлежит гуморальным факторам иммунитета. Для специфической профилактики ящура применяют инактивированные вакцины. В нашей стране нашли широкое применение следующие 3 вакцины: лапинизированная гидро-окисьалюминиевая сапонинформолвакцина, которую готовят из вируса, репродуцированного в организме новорожденных крольчат; гидроокисьалюминиевая сапонинформолвакцина из вируса, культивируемого в ткани слизистой оболочки языка.
Для свиней используют противоящурную эмульгированную вакцину из лапинизированного вируса.
Иммунитет после вакцинации у взрослых животных длится 4— 6 мес. После ревакцинации иммунитет более напряженный и продолжительный.
Молодняк, родившийся от иммунных животных, получает пассивно антитела с молозивом. Антитела у телят сохраняются в течение 5 мес, хотя пассивная защита продолжается до 3—4 мес.
Инактивированные вакцины могут быть моно- или поливалентными, т. е. содержать антигены одного или многих типов и вариантов вируса. Живые вакцины против ящура не разработаны. Проводятся исследования по разработке и использованию синтетических вакцин, а также молекулярных вакцин, полученных с помощью методов генной инженерии.
4. Культивирование вирусов в культуре клеток
Культуры клеток и тканей – это кусочки органов и тканей, выращенных в питательной среде вне организма, сохраняют жизнеспособность, а некоторые размножаются.
Для культивирования необходимы:
- исходный материал (ткани эмбрионов, клетки почки, кожи, селезенки). Обязательо соблюдение правил асептики и антисептики;
- температура должна быть 36 -38 градусов Цельсия;
- питательная среда , которая должна обладать буферностью и изотоничностью, т.е. включать в себя Na, K, Ca, Mg, Cl, фосфаты, карбонаты;
- РН среды должна быть 7,2 – 7,4 единиц;
- все питательные элементы, особенно глюкоза, которая отвечает за энергетический обмен;
- аминокислоты;
- витамины, которые являются ко-ферментами.
Среды бывают двух видов:
-
натуральные или естественные ( кровь, амниотическая жидкость);
-
2.синтетические и полусинтетические (из химических веществ, солевые растворы – раствор Эрла и раствор Хэнкса)
Методика сводится к следующему:
1. подбору культуры клеток;
2. получению вирус -содержащего материала;
3. подготовке для заражения;
4. заражению клеток вируссодержащим материалом;
5. культивированию вируса в клетках;
6. индикации вируса в культуре клеток;
7. сбору культуральной жидкости и идентификации в ней вируса.
Подбор культур клеток. Не всякая клетка чувствительна к любому вирусу. Вирус к первичной культуре обычно успешно адаптируется при условии, если культура получена из органов животного, естественно восприимчивого к данному вирусу. Однако адаптация вируса к перевиваемым клеткам более сложна, а в ряде случаев неосуществима. Для культивирования некоторых вирусов до сих пор неизвестно ни одной клеточной системы. Для культивирования вируса используют обычно молодые клетки, т. е. в первый день формирования монослоя, а в некоторых случаях (для парвовирусов свиней) клетки заражают при их посеве, так как вирус интенсивно размножается при наличии делящихся клеток (когда они находятся в стадии логарифмического роста).
Заражение клеток.
Для этого отбирают пробирки (или матрасы) со сплошным клеточным монослоем, просматривая их под малым увеличением микроскопа. Ростовую питательную среду сливают, клетки 1—2 раза промывают раствором Хенкса, чтобы удалить сывороточные антитела и ингибиторы. В каждую пробирку вносят по 0,1—0,2 мл вируссодержащего материала и покачиванием распределяют его равномерно по слою клеток. В таком виде пробирки (матрасы) оставляют от 1 до 2 ч при 22 или 37 "С для адсорбции вируса на поверхности клеток. Затем вируссодержащий материал удаляют из пробирок (матрасов) и наливают поддерживающую среду (в пробирку 1—2 мл, в матрасы около 10% его объема). При выделении вируса из патологического материала некоторые пробы (фекалий и др.) могут оказывать токсическое действие на клетки, поэтому после адсорбции вируса монослой клеток отмывают 1—2 раза раствором Хенкса (или питательной средой) и затем наливают поддерживающую среду.
Культивирование вируса.
Пробирки (матрасы) закрывают герметически резиновыми пробками и ставят на инкубацию в термостат при 37 °С. Наиболее широко применяют стационарное инкубирование. При этом матрасы кладут в горизонтальном п
оложении, пробирки — под углом 5° так, чтобы монослой клеток оказался под питательной средой (чертой вверх). В ряде лабораторий зараженные культуры клеток инкубируют на вращающейся системе — роллерах. Используя этот метод, удается получать большой выход вируса, имеющего более высокий инфекционный титр, чем при стационарном культивировании.
Для каждой пробы материала обычно используют не менее 4—10 пробирок с культурой клеток. Для контроля оставляют 4—6 пробирок с незараженной культурой клеток, в которых заменяют ростовую среду на поддерживающую.
В культурах клеток, зараженных вирусом, питательную среду можно не менять в течение 7 дней, а рН среды (6,9—7,4) поддерживать с помощью 7,5%-ного раствора бикарбоната натрия. При более длительном культивировании инфицированных клеток (аденовирусы и др.) среду меняют.
Все пробирки (матрасы) после заражения клеток ежедневно исследуют под малым увеличением микроскопа, сравнивая культуры клеток, зараженные вирусом, с контрольными.
В термостате адсорбировавшиеся на клетках вирусные частицы проникают внутрь их и начинается их репродукция. Новые вирусные частицы покидают (полностью или частично) клетки, в которых они образовались, проникают в непораженные клетки, репродуцируются в них, переходят в новые клетки и поражают их. Так продолжается до тех пор, пока есть живые неповрежденные клетки. В результате этого процесса практически все клетки в матрасе или пробирке поражаются вирусом, хотя абсолютно все почти никогда не поражаются.
Вирус накапливается в основном в культуральной жидкости, но часть вирионов может оставаться и внутри не разрушенных вирусом клеток. Чтобы оставшийся в клетках вирус освободить, клетки тщательно разрушают или многократным замораживанием — оттаиванием (2—3 раза), или с помощью ультразвука.
Индикация (обнаружение) вируса в культуре клеток.
Существуют следующие основные методы индикации вируса в культуре клеток: по цитопатическому эффекту, или цитопатическому действию (ЦПЭ,ЦПД); по положительной реакции гемадсорбции (РГАд); по образованию бляшек; по обнаружению внутриклеточных включений; по выявлению вирусов в реакции иммунофлуоресценции (РИФ); по обнаружению интерференции вирусов; по подавлению метаболизма клеток (цветная проба); электронной микроскопией и др.
ЦПД.
Наиболее широко и часто о размножении вируса в культуре клеток судят по цитопатическому эффекту, или цитопатическому действию. ЦПД называются любые изменения клеток под влиянием размножающегося в культуре клеток вируса. Физиологические изменения клеток установить довольно сложно, а морфологические изменения обнаруживаются довольно легко. Для этого достаточно положить на предметный столик микроскопа пробирку или матрас слоем клеток вверх и, используя малое увеличение (объектив х8—10, окуляр х7—10), осмотреть слой. Полезно сравнить клетки, зараженные вирусом, с такими же клетками в пробирке, не подвергавшимися заражению. В этом случае практически любые наблюдаемые в микроскоп отличия зараженной культуры клеток от контрольной можно считать проявлением ЦПД. Эти отличия могут захватывать весь монослой или отмечаться только в виде небольших очажков измененных клеток в слое нормальных клеток. Интенсивность ЦПД выражается тем, какая часть клеточного монослоя изменена вирусом. Хотя общепринятой системы оценки интенсивности ЦПД нет, ее часто оценивают в крестах или баллах. Так, если изменению (по сравнению с контролем) подвергся весь монослой в пробирке или матрасе, ЦПД оценивают на четыре креста, если 3/4 — на 3 креста, если 1/2 – на 2 креста, 1/4 — на один крест. Но эти оценки все же весьма условны.
Формы ЦПД зависят от биологических свойств вируса, вида клеток, дозы заражения, условий культивирования и т. д. Одни вирусы проявляют ЦПД через 2—3 сут после заражения (энтеровирусы), другие — через 1—2 нед (аденовирусы).
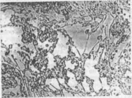
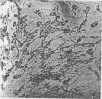
Наиболее существенно различаются между собой три формы ЦПД: фрагментация клеток, округление клеток, симпластообразование (рис. 1,2)
Фрагментация — разрушение клеток на отдельные фрагменты, которые отделяются от стекла и переходят в культуральную жидкость в виде клеточного детрита (вирус везикулярного стоматита).
Округление — потеря клетками способности прикрепляться к стеклу, вследствие чего клетки, обычно распластанные по стеклу, принимают шаровидную форму, отделяются от стекла и свободно плавают в культуральной жидкости, где и погибают (энтеровирусы, аденовирусы и др.).
Симпластообразование — растворение клеточных оболочек, вследствие чего цитоплазмы соседних клеток сливаются, образуя одно целое, в котором располагаются (главным образом по периферии) ядра клеток. Такие образования из цитоплазматической массы с многими клеточными ядрами называются симпластами (гигантские многоядерные клетки). Их образование объясняют двояко: нарушением процесса деления клеток под влиянием вируса или тем, что некоторые вирусы содержат фермент (лецитиназу), который растворяет клеточные оболочки, в результате цитоплазмы расположенных рядом клеток сливаются. ЦПД в культуре клеток способно вызывать большинство вирусов, поэтому этот метод индикации вирусов в культуре клеток применяют очень широко. Однако есть вирусы, которые, размножаясь в культуре клеток, ЦПД не вызывают (вирусы бешенства, классической чумы свиней, некоторые штаммы вируса диареи крупного рогатого скота и др.). Клетки остаются жизнеспособными, но интенсивность клеточного деления понижается, со временем изменяется и их морфология.
При неопластической трансформации пораженных клеток в монослое образуются плотные фокусы трансформации различной величины и формы, белого цвета (вирус саркомы Рауса).
Отсутствие ЦПД в первом пассаже еще не говорит об отсутствии вируса, который не всегда размножается настолько быстро, чтобы вызвать ярко выраженное ЦПД. Поэтому и прибегают к "слепым" пассажам. Необходимо провести не менее трех "слепых" пассажей, прежде чем судить о наличии вируса в исследуемом материале.















