147332 (691868), страница 3
Текст из файла (страница 3)
В цих формулах:
- допоміжний кут,
Отримане в результаті вирішення цих формул оптимальне значення показника марки N необхідно округлити у більшу сторону можливо округлення й у меншу сторону. Можна також прийняти інше заздалегідь задане або необхідне значення марки хрестовини. Після зміни показника марки хрестовики N, тобто, по суті, після прийняття конкретного кута , визначається фактичне значення прямої вставки:
; (3.4)
Одночасно з цим, для прийнятої марки хрестовини визначається нове мінімальне значення прямої вставки dmin, при збереженні прийнятої раніше умови
.
Отримане фактичне значення прямої вставки необхідно зіставити з мінімальним припустимим. Якщо розрахована при новому значенні марки хрестовини пряма вставка буде більше мінімального її значення, то ці марку і радіус кривої можна прийняти для подальшого розрахунку переводу.
Необхідно враховувати, що наявність занадто великої прямої вставки (на кілька метрів більше за мінімальне значення) вказує на нераціональне і занадто велике значення показника марки хрестовини. Це, в свою чергу, веде до зайвого збільшення довжини переводу. У цьому випадку бажано повторити розрахунок при менших значеннях показника марки хрестовини.
3.2 Визначення розмірів хрестовини.
Хрестовину умовно ділять на дві частини: передню і хвостову. Під передньою частиною хрестовини розуміють її елементи, що знаходяться в зоні від переднього стика вусовика до математичного центра хрестовини (МЦХ). Хвостова частина хрестовини - це частина конструкції від математичного центра до хвостового стика сердечника.
Теоретичну довжину передньої частики цільнолитої хрестовики приймають такою, щоб зовнішні накладки в стику не заходили за перший вигин вусовика, тобто за горло хрестовини (рис. 8). Тоді:
; (3.5)
де tг - ширина жолоба в горці хрестовини, прийнята з умови пропускання по хрестовині екіпажів з найвужчою насадкою коліс і гранично зношеними по товщині гребенями. При ширині колії 1520 мм жолоб у горлі приймається рівним 64 мм з допусками ± 2 мм.
Мінімальна довжина хвостової частини цільнолитої хрестовини знаходиться з тих же умов, що і хрестовини збірної з литим сердечником.
Отримані значення hmin і Pmin необхідно відкоригувати з умови раціонального розподілу перевідних брусів під ними.
На рис. 9 приведена схема розкладання брусів під хрестовиною. Користуючись нею, можна визначити практичні довжини передньої і хвостової частин хрестовини hпр і Pпр. Всі брус під хрестовиною розташовуються перпендикулярно бісектрисі кута хрестовини. Один з брусів повинен обов'язково знаходитися в тому місці, де ширина сердечника становить 20 мм. Тут найбільш напружене місце, тому що в цій зоні відбувається перекочування колеса з вусо-вика на сердечник. Потім розміщують бруси в передньому і задньому стиках хрестовини. Ці стики влаштовуються у висячому положенні. Передній стик хрестовини знаходиться посередині прогону. Хвостовий стик зміщений від осі прогону на величину
. Тут
величина забігу осей брусів відносно перпендикуляра до осі колії (рис. 10). Цим зміщенням хрестовинного стику зменшується зміщення рейкових стиків на зовнішніх нитках
відносно осі прогону між стиковими брусами. Під частиною хрестовини, що залишилася, бруси розташовують рівномірно з прогоном b між осями. Зазори між хрестовиною і сусідніми рейками повинні рівнятися нулю.
Рис. 9. Схема розміщення брусів під хрестовиною
Практична довжина обох частин хрестовини за напрямком бісектриси її кута, як видно з рис. 9, може бути визначена за формулами:
; (3.6)
. (3.7)
Тут
- відстань від математичного центра хрестовини до осі бруса, розташованого під сердечником шириною 20 мм.
Відстані між осями брусів (величини b і с) приймаються так само, як і у зоні стрілки.
Кількість прогонів n3 і n4 підбирається таким чином, щоб практична довжина кожної частини хрестовини була не менше мінімальної. Проте дуже збільшувати довжину хрестовини нераціонально Доцільно проектувати ці частини так, щоб виконувалися такі нерівності:
;
.
Практичні довжини елементів хрестовини, що вимірюються вздовж робочих граней, визначаються за формулами:
; (3.8)
.
Практична довжина всієї хрестовини:
. (3.9)
4. ВИЗНАЧЕННЯ ОСНОВНИХ ГЕОМЕТРИЧНИХ І ОСЬОВИХ РОЗМІРІВ СТРІЛОЧНОГО ПЕРЕВОДУ
Основними геометричними розмірами стрілочного переводу в цілому (рис. 10) є:
-
теоретична довжина стрілочного переводу Lm;
-
практична довжина стрілочного переводу Lnp;
-
радіус перевідної кривої R;
-
довжина прямої вставки перед математичним центром хрестовини d.
Осьові розміри: відстань від початку гостряка до центра переводу (а0);
відстань від центра переводу до математичного центра хрестовини (bо); відстань від початку рамних рейок до центра переводу (а); відстань від центра переводу до кінця (хвоста) хрестовини (b).
Довжина прямої вставки перед математичним центром хрестовини і радіус перевідної кривої визначені раніше.
Теоретична довжина Lm (відстань від початку гостряка до математичного центра хрестовини) визначається проектуванням розрахункового контуру АВ-СО на горизонтальну вісь ( Рис.10).
Рис. 10. Схема переводу з основними і осьовими розмірами
Практична довжина стрілочного переводу (відстань від переднього стику рамної рейки до хвостового стику хрестовини) визначається за формулою:
; (4.1)
З рисунка 11 легко встановлюються залежності для визначення осьових розмірів стрілочного переводу:
; (4.2)
; (4.3)
; (4.4)
. (4.5)
За стрілочним переводом на бісектрисі кута встановлюється граничний стовпчик. Він вказує граничне положення екіпажа, який стоїть на одній з колій, що примикають до переводу, при якому можливий безпечний рух поїздів по іншій колії. У ньому місці відстань між коліями, що розгалужуються, буде мінімально припустима за умовами габариту.
Відстані, що визначають положення граничного стовпчика, визначаються за формулами:
; (4.6)
; (4.7)
. (4.8)
де e - відстань між осями колій у місці граничного стовпчика, рівняється 4100 мм (на деяких коліях може дорівнювати 3600 мм);
g,f,fo - відстані від граничного стовпчика відповідно до осі колії, центра переводу і математичного центра хрестовини (Рис. 10).
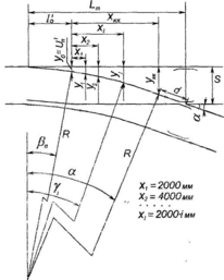
5. ВИЗНАЧЕННЯ ОРДИНАТ ПЕРЕВІДНОЇ КРИВОЇ
Ординати для розбивки перевідної кривої обчислюються при абсцисах точок, що кратні 2000 мм, і в кінці кривої при абсцисі
(рис 11). За початок координат приймається точка, що знаходиться на робочій грані прямої рамної рейки навпроти торця гостряка в корені. Ордината перевідної кривої у цій точці буде ys = U'n. Величина U'n - відстань між робочими гранями рамної рейки і гостряка в корені - визначалася раніше при розрахунку стрілки.
Абсциса кінця перевідної кривої визначається за формулою:
, (5.1)
Ординати перевідної кривої у точках з заданими абсцисами будуть:
; (5.2)
; (5.3)
В цих виразах
- кут повороту перевідної кривої відносно рамної рейки в даній точці.
Рис. 11, Схема до розрахунку прдинат перевідної кривої
Розрахунки приведенні в табличній формі:
Ординати перевідної кривої,мм:
Таблиця №2
|
|
|
|
| 0 | 181 | 0,041048 |
| 2000 | 271 | 0,049048 |
| 4000 | 377 | 0,057048 |
| 6000 | 500 | 0,065048 |
| 8000 | 638 | 0,073048 |
| 10000 | 793 | 0,081048 |
| 12000 | 963 | 0,089048 |
| 14000 | 1150 | 0,097048 |
| 14614 | 1211 | 0,099504 |
Для контролю обчислення ординат yi,, ордината в кінці кривої повинна бути також обчислена за формулою:
. (5.4)
6. ВИЗНАЧЕННЯ ДОВЖИН РЕЙОК СПОЛУЧНОЇ ЧАСТИНИ
Довжини рейок сполучної частини визначаються з геометричних міркувань. При цьому положення стиків у кінці стрілки визначаються довжиною рамної рейки і гостряка (рис. 13). Стики на початку й у хвості хрестовини визначаються її довжиною. Стики на зовнішніх рейкових нитках тут знаходяться на перпендикулярі до осі кожної з колій і в одному створі зі стиками в хвості хрестовини.
Рис. 13. Схема розкладання рейок у переводі
Сполучні колії між стрілкою і хрестовиною повинні бути розділені на дві частини так, щоб рейки, що примикають до стрілки
, були по можливості кратними довжині цілої рейки або частинам цілих рейок (25 м. 12.5 м або 6.25 м). Довжини інших рейок обчислюються за формулами:
;
;
;
.
де
- радіус перевідної кривої по робочій грані внутрішньої рейкової нитки, м;
- кут, який відповідає задньому стику рамної рейки, що веде на бокову колію. Для марок хрестовини 1/9 і пологіших та при умові, що
, цей кут визначається за формулою:
;
Після цього розрахунку може знадобитися остаточне коригування довжин рейок. Насамперед, необхідно мати на увазі, що рейкові рубки повинні бути по можливості довгими і в усіх випадках не коротше 4,5 м. Якщо обчислені за формулою якісь рейки, наприклад
виявляться коротше 4,5 м, то їх необхідно подовжити, а прилягаючі до них рейки
зробити коротшими. Одночасно з цим необхідно укоротити до тієї ж довжини рейки
. Можна кратними довжині цілої рейки приймати ходові рейки біля контр рейок ,
тоді визначенню підлягають рейки
з використанням тих же формул.
При визначенні довжин рейок необхідно мати на увазі, щоб відстань між стиками в зоні сполучної частини на зовнішніх і внутрішніх нитках не перевищувала 1,5... 1,8 м. Цю умову необхідно витримувати для забезпечення нормальної роботи рейкових ланцюгів на переводах, що ввімкнуті в електричну централізацію. Крім того, невелика відстань між цими стиками, а ще краще розташування всіх чотирьох стиків в однім створі, полегшує механізовану заміну стрілочних переводів.
















