125745 (690673)
Текст из файла
Министерство образования Российской Федерации
Амурский государственный университет
Кафедра АППиЭ
ПОЯСНИТЕЛЬНАЯ ЗАПИСКА
к курсовой работе
на тему: Исследование механизма пресса
по курсу: Техническая механика
г. Благовещенск
Министерство общего и профессионального образования Российской Федерации
Амурский государственный университет
Кафедра АПП и Э
ЗАДАНИЕ
К курсовому проектированию студента
1. Тема проекта: Кинематическое и динамическое исследование механизма пресса, а также конструкторская разработка редуктора и расчёт на прочность отдельных деталей привода пресса
2. Срок сдачи студентом законченного проекта
3. Исходные данные по проекту: 1) схема редуктора выбирается из варианта-1; 2)цифровые данные из варианта–7, средняя скорость vср = 0,6 м/с, угловая скорость вала электродвигателя - эл = 314 рад/с, угловая скорость вала кривошипа кр = 9,42 рад/с, отношение механического хода к его диаметру S0/D = 1,5, долговечность механизма L=20000 ч, безразмерный коэффициент - = 0,2, среднее удельное давление на поршень – Р = 0,4 МПа, коэффициент неравномерности движения механизма - = 0,02.
4. Содержание расчётно-пояснительной записки:
1)Рассмотреть механизм пресса.
2) Провести необходимые расчёты и вычертить схему машинного агрегата.
3) Выполнит структурный анализ кривошипно-ползунного механизма пресса. Провести кинематический анализ рычажного механизма пресса графическим и аналитическим методами. Выполнить динамический анализ машинного агрегата на основе приведения масс и моментов инерции звеньев к валу кривошипа.
4) Расчёты элементов редуктора.
5. Перечень графического материала:
Лист 1: Анализ кривошипно-ползунного механизма пресса: 1) планы положений механизма. 2) планы скоростей 3) планы ускорений. 4)диаграмма перемещений. 5)диаграмма аналогов скоростей. 6)диаграмма аналогов ускорений. 7)циклограмма рабочего и холостого хода
Лист 2: Сборочный чертёж редуктора;
Лист 3: Рабочие чертежи деталей: 1) выходной вал редуктора. 2) зубчатое колесо. 3) крышка редуктора.
6. Дата выдачи задания: 17 ноября 2002 года
Руководитель: Волков С.П., Бошко М.Е.
РЕФЕРАТ
Отчёт 49 стр., рисунков 11, таблиц 2, источников 5.
пресс, редуктор, детали, электродвигатели, шестерни, колесо, валы, шпонки.
Рассмотрен вид пресса, его конструкция. Изучен механизм пресса, проведён его всесторонний анализ. По результатам этого анализа подобран электродвигатель, соответствующий требованиям нормальной работы пресса. Проведена конструкторская разработка цилиндрического двухступенчатого редуктора, а также выполнены расчёты на прочность различных деталей этого редуктора: зубчатых колёс, валов, подшипников и литых деталей корпуса. Проведены конструктивные расчёты шпоночных соединений и муфт. Предоставлены технические характеристики на сборку, эксплуатацию и транспортировку редуктора.
СОДЕРЖАНИЕ
Введение
Основная часть
-
Кинематическое и динамическое исследование механизма пресса
1.1 Исследование механизма пресса
-
Кинематическая схема машинного агрегата (привода)
-
Кинематический синтез механизма пресса
-
Кинематический анализ
-
Определение положений и построение планов механизмов
-
Построение планов скоростей
-
Построение планов ускорений
-
-
Структурный анализ механизма пресса
-
Приведение сил производственных сопротивлений к валу кривошипа
2. Привод
-
Выбор электродвигателя
-
Общее передаточное отношение
-
Выбор схемы редуктора
-
Разбивка общего передаточного отношения
-
Расчёт тихоходной ступени
2.5.1 Выбор материала и термической обработки
2.5.2 Допускаемые напряжения
2.5.3 Межосевое расстояние
2.5.4 Предварительные основные размеры колеса
2.5.5 Модуль передачи
2.5.6 Угол наклона и суммарное число зубьев
2.5.7 Число зубьев шестерни и колеса
2.5.8 Ориентировочное значение делительного диаметра шестерни
2.5.9 Диаметры колёс
2.5.10 Силы в зацеплении
2.5.11 Проверка зубьев колёс по напряжению и по контактным напряжениям
-
Расчёт быстроходной ступени
2.6.1 Выбор материала и термической обработки
2.6.2 Допускаемые напряжения
2.6.3 Межосевое расстояние
2.6.4 Предварительные основные размеры колеса
2.6.5 Модуль передачи
2.6.6 Угол наклона и суммарное число зубьев
2.6.7 Число зубьев шестерни и колеса
2.6.8 Ориентировочное значение делительного диаметра шестерни
2.6.9 Диаметры колёс
2.6.10 Силы в зацеплении
2.6.11 Проверка зубьев колёс по напряжению и по контактным напряжениям
-
Проектный расчёт валов
-
Быстроходный вал
-
Промежуточный вал
-
Тихоходный вал
-
-
Расчёт деталей корпуса
-
Расчёт размеров элементов редуктора
-
Расчёт крышки редуктора
-
Зазоры между вращающимися деталями
-
Привертные крышки
-
Смазка и охлаждение
Расчёт реакции опор тихоходного вала
2.10.1 Эпюра моментов изгибающих в горизонтальной плоскости
2.10.2 Эпюра моментов изгибающих в вертикальной плоскости
2.10.3 Эпюра крутящих моментов
2.10.4 Суммарная моментов изгибающих
-
Расчёт подшипников качения тихоходного вала
-
Выбор муфты
-
Расчёт прочности шпоночного соединения
Заключение
Список использованных источников
ВВЕДЕНИЕ
Курсовой проект по прикладной механике это первая самостоятельная комплексная расчетно-конструкторская работа студентов, завершающая их общетехническую подготовку.
Выполнение проекта закрепляет и углубляет знания, полученные при изучении общетехнических дисциплин: теоретической механики, высшей математики, инженерной графики. В большей мере, технической механики, включающей разделы сопротивления материалов, элементы теории машин и механизмов и основ конструирования деталей машин.
Курсовое проектирование направлено на развитие конструкторских навыков студентов, закрепление и расширение теоретических знаний, ознакомления с конструкциями типовых узлов и деталей, привитие самостоятельного решения инженерно технических задач по расчету и конструированию.
Работая над курсовым проектом, студенты знакомятся с этапом проектирования, действующими стандартами, нормами, справочной литературой, получают навыки не только технических расчётов с использованием вычислительной техники, но и оформление графической части проекта и составления пояснительной записки. Все это создает базу для грамотного, в инженерном смысле, выполнения курсовых проектов по специальным дисциплинам, дипломного проекта и технических проектов.
1. КИНЕМАТИЧЕСКОЕ И ДИНАМИЧЕСКОЕ ИССЛЕДОВАНИЕ МЕХАНИЗМА ПРЕССА
1.1 Исследование механизма пресса
1.1.1 Кинематическая схема машинного агрегата
Машинный агрегат состоит из трёх последовательных механизмов: электродвигателя, редуктора и механизма пресса.
Механизм пресса представляет собой последовательное соединение кривошипа с кривошипно-ползунным механизмом (КПМ). Плоскость движения ползуна расположена под углом в 90о к горизонту. В механизме пресса только один ход поршня является рабочим. Это означает что в рабочем цилиндре, где расположен поршень, по одну сторону происходит поднимание, а по другую опускание.
Кривошипы пресса конструктивно оформлены в виде коленчатого вала. Поскольку число оборотов коленчатого вала неравно числу оборотов электродвигателя, то между электродвигателем и прессом находится редуктор, который представляет собой последовательное соединение трехзвенных зубчатых механизмов помещенных в отдельный корпус предназначенный для изменения параметров мощности.
1.1.2 Кинематический синтез механизма пресса
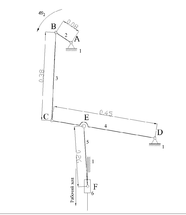
Кинематическая схема кривошипно-ползунного механизма:
1 - стойка;
2 - кривошип АВ;
3 - шатун ВС;
4 - кривошип CD;
5 - шатун ED;
6 - ползун;
Основные размеры:
lAB[M] – 0,08 (длина кривошипа);
lBC[M] – 0,38 (длина шатуна ВС);
lCD[M] – 0,45 (длина кривошипа CD);
lCE[M] – 0,14 (длина шатуна CE);
lEF[M] – 0,26 (длина шатуна EF);
Рис.1
1.2 Кинематический анализ
1.2.1 Определение положений и построение планов механизмов
Для построения планов механизма выберем масштабный коэффициент l и вычисляем отрезки чертежа:
Радиусом, равным АВ, проводим окружность, а так как кривошип АВ имеет равномерное вращательное движение и совершает полный оборот, то делим окружность на двенадцать равных частей через каждые тридцать градусов. Каждое положение точки В обозначаем определённым номером. Для определения крайних положений (КПМ) производим следующие действия: обозначаем положения, в которых кривошип АВ и шатун ВС складываются и вытягиваются в одну линию.
Построение планов механизма начинаем с положения точки В в одиннадцатой позиции. Положение точки В однозначно известно. Из точки В откладываем длину шатуна ВС. Полученную точку С соединим прямой линией с точкой В и определим тем самым положение шатуна в одиннадцатом положении. Далее определяем положение кривошипа CD. Из точки С откладываем отрезок, равный длине кривошипа CD – соединяем его со стойкой D, далее откладываем от точки C расстояние CE и из полученной точки откладываем величину кривошипа EF, до пересечения с прямой определяющей прямую по которой движется ползун, в полученной точке F этим самым определяем положение конечного звена (точка F) и в этой точке изображаем ползун в виде прямоугольника. Аналогично проводим действия и для других одиннадцати положений (КПМ).
1.2.2 Построение планов скоростей
Величина скорости точки В определяется по формуле:
(5)
Но так как изначально принимаем
кр неизвестным, то вычисляем масштабный коэффициент для плана скоростей, соизмеримо с масштабным коэффициентом для плана положений (
l=0,002 м/мм)
V=0,001 м/(мм . с)
Направление скорости точки В определяется в соответствии с направлением
кр и перпендикулярно АВ.
С
(6)
вязь между скоростью точки В и скоростью точки С (обе точки принадлежат звену 3 задаётся уравнением:
C=
B+
CB
Здесь и в дальнейшем, вектор, известный по величине и по направлению подчёркиваем двумя линиями, а вектор, известный только по направлению только одной линией.
Для определения указанных неизвестных элементов строим план скоростей. Длину отрезка ab ( на плане скоростей все точки обозначаются малыми латинскими буквами) берём в два раза большим длины AB на плане положений ( в силу взаимосвязанности масштабных коэффициентов плана положений и плана скоростей и неизвестности угловой скорости кривошипа)
Этот отрезок (скорость VB) откладываем от произвольной точки Р (полюс плана скоростей) перпендикулярно АВ (на плане положений). Далее из полюса проводим луч, перпендикулярный кривошипу CD (в этом положении). Через точку b на плане скоростей проводим линию, перпендикулярную звену 3 на плане положений до пересечения с построенным лучом. На пересечении ставим точку c. Отрезок pc (вектор) изображает скорость VC точки C , а отрезок bc – скорость VCB. Значения действительных скоростей определяем по формулам:
Разделяем отрезок pc на плане скоростей точкой e, в том же соотношении в каком точка E разделяет кривошип CD на плане положений. Из полюса проводим луч параллельный направляющей ползуна, и из точки e проводим перпендикуляр к шатуну EF (на плане положений) до пересечения с построенным лучом, получаем точку f. Отрезок pd (вектор) изображает скорость VD точки D (она равна 0), а отрезок cd – скорость VDC (скорость движения точки C относительно D. Значения действительных скоростей определяем по формулам:
Подобным образом находим планы скоростей для всех двенадцати положений механизма. Плавная линия, соединяющая одноимённые точки на плане скоростей является годографом. Для точки b годографом является окружность, а для точки f вертикальная линия.
Характеристики
Тип файла документ
Документы такого типа открываются такими программами, как Microsoft Office Word на компьютерах Windows, Apple Pages на компьютерах Mac, Open Office - бесплатная альтернатива на различных платформах, в том числе Linux. Наиболее простым и современным решением будут Google документы, так как открываются онлайн без скачивания прямо в браузере на любой платформе. Существуют российские качественные аналоги, например от Яндекса.
Будьте внимательны на мобильных устройствах, так как там используются упрощённый функционал даже в официальном приложении от Microsoft, поэтому для просмотра скачивайте PDF-версию. А если нужно редактировать файл, то используйте оригинальный файл.
Файлы такого типа обычно разбиты на страницы, а текст может быть форматированным (жирный, курсив, выбор шрифта, таблицы и т.п.), а также в него можно добавлять изображения. Формат идеально подходит для рефератов, докладов и РПЗ курсовых проектов, которые необходимо распечатать. Кстати перед печатью также сохраняйте файл в PDF, так как принтер может начудить со шрифтами.















