144435 (620579), страница 3
Текст из файла (страница 3)
В результате расчета принимаем следующую схему разработки грунта в котловане:
Первая торцевая проходка по прямой, размером 8,08 м и две боковых проходки, шириной 8,86 м и 8,86м.
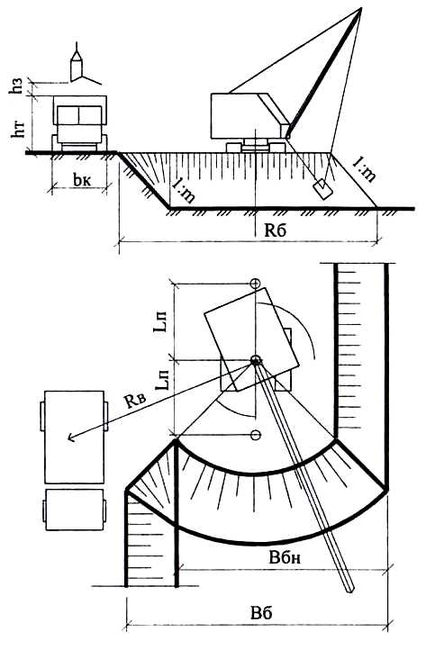
Торцевой забой экскаватора ОЛ: 1- экскаватор; 2- автосамосвал; 3- ось движения экскаватора; 4- ось движения автосамосвала.
Уширенный торцевой забой экскаватора ОЛ: 1- экскаватор; 2- автосамосвал; 3- ось движения экскаватора; 4- ось движения автосамосвала
Боковой забой экскаватора обратная лопата
8 ГРАФИК ПРОИЗВОДСТВЕННЫХ РАБОТ
Календарный план производства земляных работ построен на разработку грунта в котловане с учетом совмещения технологических операций во времени для бульдозера и экскаватора.
Плановая продолжительность работ определяется на основе нормативной, путем округления последней до смены или пол-смены.
ТН=Тр/Nм*Тсм*Nсм
Строим календарный план по плановой продолжительности работ.
При производстве земляных работ принимается последовательный метод производства работ.
| Наименование работ | Объем работ | Трудоемкость работ (Маш-ч) | Необходимые механизмы | Число смен | Нормативная продолжительность (ТН) | Плановая продолжительность (Тпл) | |||||||
| Ед. Изм. | Кол-во | марка | Кол-во | ||||||||||
| 1. Срезка растительного слоя грунта I категории бульдозером ДЗ-42 | 1000 м2 | 3,123 | 2,62 | Бульдозер ДЗ-42 | 1 | 2 | 0,16 | 0,25 | |||||
| 2. Транспортирование ранее разработанного растительного слоя грунта I категории бульдозером ДЗ-42 на расстояние L1=34,1м | 100 м3 | 6,24 | 16,09 | Бульдозер ДЗ-42 | 1 | 2 | 1,005 | 1 | |||||
| 3. Разработка растительного слоя грунта I категории экскаватором прямая лопата ЭО-2621А с ёмкостью ковша 0,25м3 с погрузкой в транспортное средство | 100 м3 | 6,24 | 21,84 | ЭПЛ ЭО-2621А | 1 | 2 | 1,36 | 1,25 | |||||
| 4. Разработка грунта I категории в съездной траншее экскаватором обратная лопата с ёмкостью ковша 0,5м3 с погрузкой в транспортное средство | 100 м3 | 0,76 | 2,12 | ЭОЛ ЭО-3322 | 1 | 2 | 1,13 | 1 | |||||
| 5. Разработка грунта I категории в котловане экскаватором обратная лопата с ёмкостью ковша 0,5м3 с погрузкой в транспортное средство | 100 м3 | 28,16 | 78,86 | ЭОЛ ЭО-3322 | 1 | 2 | 4,92 | 5 | |||||
| 6. Разработка недобора грунта II категории в котловане бульдозером ДЗ-42 с транспортированием на расстояние L2=45,6м | 100 м3 | 1,58 | 7,01 | Бульдозер ДЗ-42 | 1 | 2 | 0,43 | 0,5 | |||||
| 7. Разработка (погрузка) ранее разработанного грунта I категории экскаватором обратная лопата с ёмкостью ковша 0,5м3с погрузкой в транспортное средство. | 100 м3 | 1,58 | 4,42 | ЭОЛ ЭО-3322 | 1 | 2 | 0,27 | 0,25 | |||||
| 8. Окончательное планирование дна котлована бульдозером ДЗ-42 | 1000 м2 | 0,068 | 0,033 | Бульдозер ДЗ-42 | 1 | 2 | 0,002 | 0,25 | |||||
9 РАСЧЕТ ТЕХНИКО-ЭКОНОМИЧЕСКИХ ПОКАЗАТЕЛЕЙ КОМПЛЕКТА МАШИН
В проекте необходимо определить следующие технико-экономические показатели: общий объем земляных работ (V), общую нормативную трудоемкость (Тр), продолжительность выполнения работ (То), удельную себестоимость (Сед) и удельную трудоемкость (Тед) разработки 1 м3 грунта.
1. Общий объём земляных работ
V = Vтр + Vк+ Vн
V = 324+3506+1,58 = 3988
2. Продолжительность производства земляных работ.
Определяется на основе календарного плана. Она равна времени от начала первого процесса и до окончания последнего строительного процесса.
То = 9,5 дней
-
Затраты машинного времени (Маш-ч)
Таблица9
| Машины и механизмы | Затраты машинного времени в машиночасах | |
| На 1 машину | На все машины | |
| Бульдозер | 25,753 | 25,753 |
| Экскаватор прямая лопата | 21,84 | 21,84 |
| Экскаватор обратная лопата | 85,4 | 85,4 |
| Автосамосвал | 107,24 | 536,2 |
| Итого | 240,23 | 669,19 |
-
Удельная себестоимость разработки одного м3 грунта.
Сед = 1,08 * ∑(См-чi * Ni * toi)/V
Где См-чi стоимость одного часа работы машины на площадке, руб.
Ni – число машин данной марки,
toi – время работы данной машины при выполнении соответствующего строительного процесса, Маш-ч,
V – общий объём разрабатываемого грунта, получаемый путем сложения объемов грунта в котловане, въездной траншее и в недоборе, м3.
Сед = 1,08*((205*1*25,75)+(253*1*21,84)+(325,2*1*85,4)+(184,01*1*536,2))/ 3988
=37,16
-
Удельная трудоемкость разработки 1м3 грунта.
Удельную трудоёмкость разработки 1 м3 грунта определяют по выражению:
Тед =∑(Тмi * Ni * toi)/V
Где Тмi – затраты труда на 1 маш-ч эксплуатации машины данной марки, чел-ч/Маш-ч
Тед = ((1,1 * 1 * 25,75)+(1,65 * 1 * 21,84)+(1,65 * 1 * 85,4)+(1,79 * 1 * 536,2))/3988 =0,292
10. РАСЧЕТ МАТЕРИАЛЬНО – ТЕХНИЧЕСКИХ РЕСУРСОВ
Расчет материально – технических ресурсов, необходимых для работы строительных машин (бульдозер и экскаваторы) при разработке грунта в котловане, выполняется на основе норм расхода материалов, которые приведены в прил.1 (табл. П.1.14) учебной методички.
Таблица 10
| Материалы | Механизмы | |||
| ДЗ-42 | ЭО-2621А | ЭО-3322 | Всего | |
| Дизельное Топливо | 167,37 | 172,53 | 674,66 | 1014,56 |
| Дизельное Масло | 6,18 | 7,86 | 30,744 | 44,784 |
| Индустриальное масло | 0,128 | 0,436 | 1,708 | 2,272 |
| Веретенное масло | - | 1,092 | 4,27 | 5,362 |
| Автол | 0,515 | 1,092 | 4,27 | 5,877 |
| Нигрол | 0,515 | 0,655 | 2,562 | 3,767 |
| Солидол | 1,545 | 4,586 | 17,934 | 24,065 |
| Керосин | - | 1,310 | 5,124 | 6,434 |
| Обтирочные материалы | 0,515 | 0,655 | 2,562 | 3,732 |
11. ТЕХНОЛОГИЯ ПРОИЗВОДСТВА ЗЕМЛЯНЫХ РАБОТ
Технология земляных работ зависит в основном от типа фундаментов, состава грунта и уровня грунтовых вод. Для столбчатых фундаментов делают круглые ямы с вертикальными стенами. Они устойчивы от обрушения даже при высоком стоянии грунтовых вод.
В состав земляных работ обычно входят: вертикальная планировка площадок, разработка котлованов и траншей, обратная засыпка грунта, а в отдельных случаях – предварительное разрыхление грунта, водоотлив, водоотвод и водопонижение
Объем и характер земляных работ определяется объемно-планировочным и конструктивными особенностями возводимых зданий и сооружений.
Земляные работы должны выполняться с комплексной механизацией всех процессов и применением рациональных способов производства работ. Выбор землеройных машин для производства земляных работ зависит от вида грунта, рельефа местности, объема и глубины земляных выработок, условий выполнения работ( в отвал, на транспорт), транспортных средств и дальности перемещения грунтов.
К основным землеройным машинам относятся одноковшовые и многоковшовые экскаваторы, к землеройно – транспортным – бульдозеры и скреперы.
В строительстве благодаря высокой производительности при разработке грунтов различных категорий наибольшее распространение получили одноковшовые экскаваторы, поэтому именно этот вид экскаваторов мы выбрали в данном проекте. В зависимости от производственных условий в качестве сменного оборудования экскаваторов применяют прямые и обратные лопаты.
Экскаваторы, оборудованные прямой лопатой, используют для разработки грунтов, расположенных выше уровня стоянки экскаватора, их применяют главным образом при разработках котлованов и траншей с погрузкой грунта в транспортные средства и реже с отсыпкой в отвал, экскаваторы с прямой лопатой могут разрабатывать грунт и ниже уровня стоянки, но на незначительную глубину.
Экскаваторы, оборудованные обратной лопатой, используют для разработки грунтов ниже уровня стоянки экскаватора и применяют при разработке траншей и небольших неглубоких котлованов. Разработку грунта можно осуществлять как в отвал, так и с погрузкой в транспортное средство. В последнем случае экскаваторы с обратной лопатой имеют преимущество по сравнению с экскаваторами с прямой лопатой, так как не требуют спуск автомашин в котлованы.
В данной работе технология производства земляных работ включает несколько основных этапов:
1. Срезка растительного слоя грунта I категории бульдозером ДЗ-42















