25417 (568920), страница 2
Текст из файла (страница 2)
Задание 3
-
Зная период Т и амплитуду А колебаний сейсмической волны вычислить сейсмическое ускорение а и коэффициент сейсмичности КS.
-
Подсчитать сейсмическую инерционную силу S (в тоннах), воздействующую на сооружения при землетрясениях. Массу сооружения Р принимают равной 5500 т.
-
Используя величину сейсмического ускорения, определить силу землетрясения в баллах.
4. По данным о силе землетрясения уточнить расчетную балльность строительной площадки в районах, сложенных:
а) рыхлыми осадочными породами с глубиной залегания грунтовых вод до 5 м от поверхности земли;
б) скальными породами (гранитами, гнейсами), прикрытыми маломощным слоем сухого элювия.
Согласно полученным результатам дать заключение о возможности и экономической целесообразности строительства на одном из указанных участков.
| Период сейсмической волны Т, с | Амплитуда колебаний сейсмической волны А, мм | Сейсмическое ускорение α = 4π2А/Т2 мм/с2 | Сила землетрясения, балл | Коэффициент сейсмичности KS =α/g | Инерционная сила S = KSP, т |
| 0,55 | 7 | 920 | 9 | 0,092 | 506 |
-
α = 4π2А/Т2; α = 4 (3,14)2 7/0,552; α = 920 мм/с2
KS = α/g; KS = 920 10–3/10; KS = 0,092 α/мм
-
S = KS*P; S = 0,092 5500; S = 506 т
-
Так как сейсмическое ускорение равно 920 мм/с2, то сила землетрясения равна 9 баллам.
-
а) расчетная бальность равна 10 баллам
б) расчетная бальность равна 8 баллам
Участок с рыхлыми осадочными пародами неблагоприятен для строительства, так как при сейсмическом сотрясении, рыхлые породы энергично доуплотнятся и будут разрушать выстроенные на них здания и сооружения.
Задание 4
Описать подземные межмерзлотные воды, особенности их существования и движения. Охарактеризовать водоносный горизонт, заключающий эти воды, особенности его питания и разгрузки, его значения для целей водоснабжения. Описание проиллюстрировать схематическими рисункам.
Межмерзлотные воды – подземные воды, залегающие или перемещающиеся внутри толщи или между слоями многолетнемёрзлых пород. Межмерзлотные воды имеют связь c над- и подмерзлотными и водами таликов. B случае утери связи вследствие промерзания межмерзлотные воды переходят в категорию внутримерзлотных вод. По происхождению, степени минерализации и темп-ры межмерзлотные воды делятся на две группы. Первая включает криогалинные воды, во вторую группу входят пластово-поровые и пластово-трещинные слабоминерализованные воды, образующиеся вследствие неполного многолетнего протаивания мёрзлой толщи и последующего частичного промерзания несквозного талика. Такие системы чередующихся в разрезе межмерзлотных вод и мёрзлых слоев во времени термодинамически неустойчивы: линзы межмерзлотных вод или промерзают сверху, или протаивают подстилающий их мёрзлый слой. Известны устойчивые межмерзлотные воды. Иx питание происходит на междуречьях, разгрузка - в долинах. Межмерзлотные водоносные "тоннели" поддерживаются за счёт движения подземных вод; при прекращении питания и при похолоданиях они промерзают. M. в. обычно мало пригодны для практического использования вследствие ослабленного водообмена, малых запасов и часто застойного режима. Межмерзлотные воды осложняют проходку горных выработок в шахтах и разработку открытым способом в многолетнемёрзлых породах. При откачках дебит межмерзлотных воды часто возрастает из-за протаивания вмещающих мёрзлых пород вследствие увеличения интенсивности водообмена.
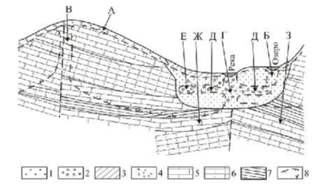
Распределение подземных вод в многолетнемерзлых породах: А – надмерзлотные воды, Б – воды несквозного подозерного талика, В – воды сквозного питающего талика, Г – воды сквозного подруслового талика, Д – межмерзлотные воды, Е – внутримерзлотные воды, Ж – подмерзлотные воды контактирующие, З – подмерзлотные воды неконтактирующие; 1 – пески; 2 – гравийно-галечные отложения; 3 – суглинки; 4 – щебень и дресва; 5 – известняки; 6 – песчаники; 7 – сланцы; 8 – граница многолнтнемерзлых пород
Задание 5
Определить коэффициент фильтрации массива водоносных песков по результатам откачки из одиночной совершенной скважины. Водоносный горизонт – грунтовый. Схему проведения опыта показать на рисунке.
| Мощность водоносного горизонта Н, м | Дебит скважины Q, м/сут | Понижение уровня воды в скважине, S0, м | Радиус | |
| влияние скважины R, м | скважины r, м | |||
| 8 | 644 | 2 | 69 | 0,3 |
Кф = Q ln(R/r)/π (2H – S) S
Кф = 644 5,43/3,14 (2 8 – 2) 2
Кф = 40 м/сут
Задание 6
Определить приток воды к совершенной дренажной канаве, отводящей подземные воды грунтового водоносного горизонта (приток воды к канаве происходит с двух сторон). Расчет проиллюстрировать схематическим рисунком.
| Мощность водоносного горизонта Н, м | Величина понижения уровня воды в канаве S, м | Коэффициент фильтрации Кф, м/сут | Длина дренажной канавы В, м |
| 3,2 | 3,0 | 50 | 70 |
Q = Kф В (Н2 – h2)/R
R = 2 S H Kф
R = 2 3 3,2 50
R = 76 м
h = H – S
h = 3,2 – 3,0
h = 0,2 м
Q = 50 70 (3,22 – 0,22)/76
Q = 470 м/сут
Задание 7
Составить описание геологических процессов и явлений.
– причины образования процессов и явлений, стадии их протекания, специфические черты и особенности;
– условия строительства в районах, подверженных данным процессам;
– инженерно–геологическое значение этих процессов, мероприятия, устраняющие их вредное влияние на условия строительства и эксплуатации сооружений.
Гравитационные процессы на склонах
Горные породы, слагающие склоны, очень часто находятся в неустойчивом положении. При определенных условиях и под влиянием гравитации они начинают смещаться вниз по склонам рельефа. В результате этого возникают осыпи, курумы, обвалы и оползни.
Осыпи. На крутых склонах, особенно в горных районах, где развиты скальные породы, активно действует процесс физического выветривания. Породы растрескиваются и обломки скатываются вниз по склонам до места, где склон выполаживается. Этот процесс называется осыпанием. Так, у подножья склонов накапливаются продукты осыпания – глыбы, щебень, более мелкие обломки – и образуются валы — осыпи. Мощность осыпей различна и колеблется от нескольких до десятков метров.
В состав осыпей входят обломки тех горных пород, которые слагают склоны. Ведь породы зачастую определяет крупность обломков осыпи. Так, массивные кристаллические породы дают крупнообломочные (глыбовые) осыпи. Менее прочные породы образуют среднеобломочные (щебеночные) и мелкообломочные (дресвяные) осыпи. Сланцы и осадочные породы (известняки, мергели, песчаники и др.) порождают разнообломочные накопления, состоящие из обломков различной формы (плитчатой, пластинчатой и т. д.) и размеров.
Характерной особенностью осыпей является их подвижность. По «знаку подвижности их подразделяют на действующие, находящиеся в стадии интенсивного движения, затухающие и неподвижные.
Действующие осыпи лишены всякой растительности. Масса обломков нарастает и находится в рыхлом, весьма неустойчивом положении и приходит в движение за счет увеличения общего веса, сильном увлажнения, подрезки нижней части осыпи, дорогами, от землетрясений и даже от более мелких сотрясений, возникающих при работе механизмов или движении транспорта.
Движение осыпей. Наибольшие скорости движения осыпей отмечены в период снеготаяния и дождей. Наблюдения показывают, что осыпи в послойном разрезе передвигаются с различной скоростью Скорость верхних слоев может достигать более 1 м/год, нижних слоёв и в целом всего массива осыпи – несколько десятков сантиметров в год. На скорость движения влияют также количество поступающего материала, угол естественного откоса материала, из которого состоит осыпь, и угол поверхности осыпи.
Угол естественного откоса материала зависит от его крупности. В сухом состоянии крупно- и среднеобломочный материал имеет средний угол откоса φ = 35—37°, а мелко- и разнообломочный — 30–320. Значение угла откоса осыпи связана с крутизной склонов, количеством поступающего материала и его влажностью.
Зависимость между углами поверхности осыпи α и естественным откосом φ обломочного материала характеризует степень подвижности осыпи
К = α/φ,
где К – коэффициент подвижности осыпи.
По величине К осыпи разделяют на 4 типа:
– подвижные (живые), К = 1,0;
– достаточно подвижные, признаков затухания нет, К = 0,7 до 1,0;
– слабоподвижные, затухающие, имеющие слабое питание, К = 0,5 до 0,7;
– относительно неподвижные, уплотнившиеся, поступление нового материала не наблюдаеться, К < 0,5.
Осыпи первого и второго типов относят к действующим. Они представлены свежей, неуплотнившейся массой обломков. «Живые» осыпи характерны для склонов круче 65°, достаточно подвижные осыпи с крутизной от 45 до 65 °.
Для затухающих осыпей свойственно развитие растительности (кустарники, слабый дерновый слой). Неподвижные осыпи полностью задернованы, покрыты кустарником и даже лесом.
Иногда осыпи превращаются в осовы—особую разновидность оползней. Это происходит при насыщении осыпей водой. При смачивании масса обломков уменьшает угол естественного откоса, увеличивается и вся масса осыпи «осовывается» по смоченной поверхности склона.
Осыпи значительно осложняют строительство. Обломочный материал засыпает сооружения, полезные площади. Для решения вопроса о защите сооружений от осыпей очень важно знать скорость их движения. Обычно ее удается определить длительными наблюдениями. С небольшими щебеночными осыпями борьба ведется довольно простыми способами, которые сводятся к уборке той части обломочного материала, который расположен выше сооружения по склону. Этот Способ достаточно трудоемок и применяется при большой подвижности осыпей и особой значимости сооружений.
Из инженерных сооружений применяют улавливающие и подпорные стенки, устраивают козырьки или сетки над дорогами, но эти мероприятия спасают лишь от отдельных падающих камней.
В особо опасных местах, где развиты мощные медленно соскальзывающие осыпи, устраивают галереи и тоннели для дорог. При борьбе с осовами, кроме всех прочих мероприятий, применяют методы осушения, особенно в тех случаях, когда источник замачивания располагается в верхней части склона. На особо опасных участках организуют службу наблюдения.
Осыпи обломочно-щебенистого состава часто находят широкое применение, как хороший строительный материал.
Курумы. В результате разрушения скальных пород у подошвы склонов скапливаются крупные обломки и глыбы. По своему мест положению обломки более всего тяготеют к пологим склонам, что свойственно ложбинам и днищам долин. Так образуются каменные россыпи или курумы, образуя с ними единую массу глыб от вершины до подошвы склона. Мощность каменных россыпей колеблется от нескольких метров до 15 м на дне долин.
Курумы распространены в тех же районах, что и осыпи, но особенно они значительны в области вечной мерзлоты (Восточная Сибирь, Дальний Восток) и в местностях с суровым климатом (Урал, Алтай, Саяны и т. д.).
Характерной особенностью курумов является передвижение. Масса обломков, огромных глыб постоянно ползет вниз по склону, так как глыбы лежат на глинисто-суглинистом слое. Когда курум движется по ложбинам его называют каменным потоком. Скорость движения курумов от сантиметров до десятков сантиметров в год. Наибольшая скорость свойственна участкам с обильным смачиванием водой глинисто-суглинистой подстилки.
Курумы подразделяют на действующие и затухшие. В первом случи» курумы очень подвижны. Пустоты между глыбами не заполнены. Растительность отсутствует. В затухших курумах никаких следов движения нет. Россыпь задернована, покрыта растительностью.
















