ПЗ-ВКР-Куликов Е.Д. (1208933), страница 6
Текст из файла (страница 6)
Результаты измерения шума
| Уровень шума | Расположение точки | Примечание | ||||
| эквивалентный (LA экв), дБа | максимальный (LA max), дБа | |||||
| Точка 1 | 61,7 | 66,8 | Корпус 2 | Замер в 3 метрах от работающего токарного станка | ||
| Точка 2 | 73,3 | 80,8 | Корпус 3 | Замер внутри цеха ТР-3 во время работы крана | ||
Продолжение таблицы 2.5
| Уровень шума | Расположение точки | Примечание | ||
| эквивалентный (LA экв), дБа | максимальный (LA max), дБа | |||
| Точка 3 | 82,4 | 89,7 | Корпус 3 | Замер внутри цеха ТР-3 посередине помещения в 5 метрах от локомотива |
| Точка 4 | 93,0 | 104,8 | Корпус 2 | Замер шума от компрессорной установки в 2 метрах от источника |
| Точка 5 | 99,1 | 108,0 | Помещение химчистки | Замер шума работающей стиральной машины в 2 метрах от источника |
| Точка 6 | 95,1 | 105,7 | Кузнечная в корпусе 2 | Замер в 2 метрах от пневматического молота |
| Точка 7 | 81,0 | 91,5 | Котельная, внутри здания | Замер внутри здания котельной |
| Точка 8 | 91,4 | 91,9 | Котельная, внутри здания | Замер внутри здания котельной |
| Точка 9 | 75,7 | 91,9 | Корпус 2 | Замер внутри цеха ТР-3 во время работы крана |
| Точка 10 | 88,6 | 92,2 | Участок реостатных испытаний | Замер шума в 3 метрах от локомотива в период проведения реостатных испытаний |
| Точка 11 | 81,4 | 87,1 | ПТОЛ-2 | Замер шума в 3 метрах от работающего вентилятора |
Окончание таблицы 2.5
| Уровень шума | Расположение точки | Примечание | ||
| эквивалентный (LA экв), дБа | максимальный (LA max), дБа | |||
| Точка 12 | 87,2 | 88,1 | ПТОЛ-2 | Замер шума в 3 метрах от работающего тепловоза |
| Точка 13 | 94,7 | 94,9 | Здание пескосушильной установки | Замер шума от компрессорной установки в 2 метрах от источника |
| Точка 14 | 86,3 | 96,8 | Здание пескосушиль-ной установки | Замер шума в 2 метрах от барабана пескосушильной установки |
| Точка 15 | 74,7 | 76,6 | Котельная, снаружи здания | Замер шума от работающего дымососа |
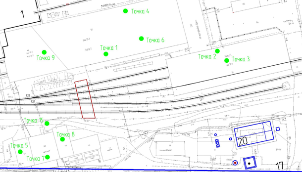
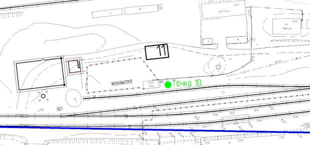
Точки замеров шума на территории депо Сибирцево представлены на рисунке 2.5, рисунке 2.6 и рисунке 2.7.
Рисунок 2.5 Точки замеров шума на территории Депо
Рисунок 2.6 Точки замеров шума на территории Депо
Рисунок 2.7 Точки замеров шума на территории Депо
В целом, для сотрудников локомотивного депо складывается неблагоприятная обстановка, связанная с многочисленными источниками шума. Наиболее неблагоприятными являются территория котельной, помещение химчистки и пескосушилка.
Нормируемыми параметрами постоянного шума в расчетных точках являются уровни звукового давления L в дБ в октавных полосах частот со среднегеометрическими частотами 31,5; 63; 125; 250; 500; 1000; 2000; 4000 и 8000 Гц.
Для ориентировочных расчетов допускается использование уровней звука LA, дБА.
Нормируемыми параметрами непостоянного (прерывистого и импульсного шума) в расчетных точках являются эквивалентные (по энергии) уровни звукового давления L экв в дБ и максимальные уровни звукового давления L макс, дБ, в октавных полосах частот со среднегеометрическими частотами 31,5; 63; 125; 250; 500; 1000; 2000; 4000 и 8000 Гц. Допускается использовать эквивалентные уровни звука L Aэкв, дБА, и максимальные уровни звука L Aмакс, дБА.
Допустимые уровни звукового давления (эквивалентные уровни звукового давления) в дБ в октавных полосах частот, эквивалентные и максимальные уровни звука в дБА для жилых и общественных зданий и их территорий определены СН 2.2.4/2.2.1.8.562-96 [2, таблица 5.1].
Основными задачами акустического расчета являются:
-
определение источников шума и их акустических характеристик, расположенных на территории депо;
-
выбор расчетных точек и определение путей распространения шума от основных источников к расчетным точкам;
-
расчет уровней звукового давления и уровней звука в расчетных точках и сравнение их с допустимыми нормативными значениями;
-
построение общей картины распределения звука на ближайших объектах нормирования и на границе санитарно-защитной зоны.
Оценка акустического воздействия проводилась с использованием следующих нормативных документов:
-
СН 2.2.4/2.1.8.562-96. Санитарные нормы и правила. «Шум на рабочих местах, в помещениях жилых, общественных зданий и на территории жилой застройки» [2];
-
СП 51.13330.2011. Защита от шума. Актуализированная редакция СНиП 23-03-2003 [4];
-
ГОСТ 12.1.036-81 ССТБ. Шум. Допустимые уровни в жилых и общественных зданиях [11];
-
ГОСТ 12.1.003-83 ССТБ. Шум. Общие требования безопасности [12];
-
СП 23-103-2003 «Проектирование звукоизоляции ограждающих конструкций жилых и общественных зданий» [13];
-
Справочник проектировщика «Защита от шума», Стройиздат, Москва, 1974 г.[14];
-
«Снижение шумового воздействия от оборудования в энергетике», Москва 2004 г., учебное пособие [15];
-
«Снижение шумового воздействия от оборудования в энергетике», Москва 2004 г., учебное пособие [16].
-
Источники шума на территории депо с учетом реконструкции
После реконструкции предприятия новыми источниками шумового воздействия будут являться:
-
вентиляционное оборудование нового цеха среднего ремонта тепловозов;
-
дымососы новой котельной.
На территории реконструируемого объекта выявлено 44 источника шума, из них 30 постоянного шума и 14 непостоянного, 42 точечного источника и 2 линейного (движение автотранспорта, движение локомотивов). Источники шума представлены в таблице 2.6 и таблице 2.7.
Таблица 2.6
Источники постоянного шума
| № | Название источ- ника | Дистанция замера источника R (м) | Высота расположения источника | Характеристика источника | La.экв дБА | Примечание |
| 1 | В13 | - | 13,00 | Вытяжная вентиляция проектируемого корпуса №5 | 81,5 | Шум. Характеристики приняты по каталогу |
| 10 | В5 | - | 11,00 | Вытяжная вентиляция проектируемого корпуса №5 | 83,0 | Шум. Характеристики приняты по каталогу |
| 11 | П4 | - | 9,00 | Приточная вентиляция проектируемого корпуса №5 | 83,5 | Шум. Характеристики приняты по каталогу |
| 12 | П3 | - | 9,00 | Приточная вентиляция проектируемого корпуса №5 | 85,5 | Шум. Характеристики приняты по каталогу |
| 13 | П2 | - | 9,00 | Приточная вентиляция проектируемого корпуса №5 | 89,0 | Шум. Характеристики приняты по каталогу |
| 14 | П5 | - | 9,00 | Приточная вентиляция проектируемого корпуса №5 | 92,5 | Шум. Характеристики приняты по каталогу |
| 15 | В6 | - | 12,00 | Вытяжная вентиляция проектируемого корпуса №5 | 89,0 | Шум. Характеристики приняты по каталогу |
| 16 | П1 | - | 9,00 | Приточная вентиляция проектируемого корпуса №5 | 89,0 | Шум. Характеристики приняты по каталогу |
| 17 | В29 | - | 9,00 | Вытяжная вентиляция проектируемого корпуса №5 | 75,5 | Шум. Характеристики приняты по каталогу |
Продолжение таблицы 2.6
| № | Название источ- ника | Дистанция замера источника R (м) | Высота расположения источника | Характеристика источника | La.экв дБА | Примечание |
| 18 | В2 | - | 11,00 | Вытяжная вентиляция проектируемого корпуса №5 | 83,0 | Шум. Характеристики приняты по каталогу |
| 19 | В4 | - | 11,00 | Вытяжная вентиляция проектируемого корпуса №5 | 81,5 | Шум. Характеристики приняты по каталогу |
| 2 | П9 | - | 0,00 | Приточная вентиляция проектируемого корпуса №5 | 69,5 | Шум. Характеристики приняты по каталогу. |
| 20 | В15 | - | 12,00 | Вытяжная вентиляция проектируемого корпуса №5 | 75,0 | Шум. Характеристики приняты по каталогу |
| 21 | В16 | - | 12,00 | Вытяжная вентиляция проектируемого корпуса №5 | 78,0 | Шум. Характеристики приняты по каталогу |
| 22 | В28 | - | 12,50 | Вытяжная вентиляция проектируемого корпуса №5 | 75,0 | Шум. Характеристики приняты по каталогу |
| 23 | сущ. вен-тиляция 5 | - | 10,00 | Вытяжная вентиляция | 95,0 | Шум. Характеристики приняты по аналогу |
| 24 | сущ. вен-тиляция 4 | - | 10,00 | Вытяжная вентиляция | 70,0 | Шум. Характеристики приняты по аналогу Шум. Характеристики приняты по аналогу |
| 25 | сущ. вен-тиляция 7 | - | 4,00 | Приточная вентиляция | 70,0 | Шум. Характеристики приняты по аналогу |















